From the pages of
Sublette Examiner
Volume 8, Number 42 - January 8, 2009
brought to you online by Pinedale Online

Public Notices


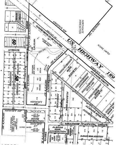
PUBLIC NOTICE
The Town Council of the Town of Marbleton, County of Sublette is considering to vacate part of Alsade Drive crossing Lot 12 and Lot 13 of the Alsade Second Subdivision to the Town of Marbleton of record in the Office of the Clerk of Sublette County in Book 35 of Miscellaneous records on page 428 in accordance with Wyoming Statutes, 2007, as amended, Section 15-4-305.
All objections thereto or claims for damages by reason thereof must be filed in writing with the Town clerk before 3:00 P.M. on the 12th day of January, 2009 or such road may be vacated without reference to such objections or claims for damages.
Dated 23 December 2008
Anita Murphy, Town Clerk
Public notice #1440. Published in the Sublette Examiner on January 1 and 8, 2009.


PUBLIC NOTICE
The regularly scheduled meeting of the Sublette County Board of Commissioners will be held on Tuesday, January 27, 2009 at 1:00 p.m. in the Sublette County Courthouse, Pinedale, Wyoming. At this time, a public hearing will be held to consider the following applications:
AGENDA
Request for Minor Subdivision approval, pursuant to Chapter VI of the Sublette County Subdivision Resolution, entitled Minor Subdivision; for the Kipp Minor Subdivision; Paul E. Kipp, applicant. The application for Minor Subdivision proposes the creation of two lots (Lot 1= 5.67 acres and Lot 2= 2.39 acres) within the Rural Residential zoning district (two net acre minimum lot size). The proposed Kipp Minor Subdivision is located in Sections 5 and 8, Township 32N, Range 108W; generally described as Lot 105 of Big Country Ranches Subdivision Forth Filing Unit C. The Kipp property is located approximately 1.5 miles northeast of Boulder and State Highway 353, on the northeast side of U.S. Highway 191.
Request for Minor Subdivision approval, pursuant to Chapter VI of the Sublette County Subdivision Resolution, entitled Minor Subdivision; for the Horse Creek Minor Subdivision; Lee Lieberman, applicant. The application for Minor Subdivision proposes the creation of two 20 acre lots within the Rural Residential 20 zoning district (twenty acre minimum lot size). The proposed Horse Creek Minor Subdivision is located in Sections 2 and 3, Township 33N, Range 111W; generally described as being on the west side of U.S. Highway 189, approximately 2.5 miles south of the intersection of U.S. Highways 189 and 191.
Request for a Variance, pursuant to Chapter VI of the Sublette County Zoning and Development Regulations, entitled Variances by Callaghan Cabinets, Lynn and “Chopper” Grassell applicants. The variance application proposes a 5,000 square foot expansion of an existing non-conforming use, total floor area allowed by the variance would be 25,000 square feet and a reduction in the number of parking spaces required by the County regulations. The County requirement is one parking space for every 200 square feet of non-residential development, which equals 125 parking spaces for Callaghan Cabinets. The proposed variance request that the parking requirement be reduced to 15 parking spaces. The Grassell/Callaghan Cabinets property is 3.74 acres in size, is within the General Commercial zoning district and is located in Section 3, Township 33N, Range 109W; generally described as 9886 U.S. Highway 191 and being adjacent to the rodeo grounds on the southeast boundary of the Town of Pinedale.
Request for Conditional Use permit for Light Industrial Project Employee Housing, pursuant to Chapter V of the Sublette County Zoning and Development Regulations, entitled Conditional Uses, by Redi Services. The application is for one mobile home to provide employee housing in the light industrial zoning district. The parcel subject to the proposed Conditional Use is located in the SE ¼ of the NW ¼ of Section 25, T33N, R109W and is generally described as Lot 4 of the Airport Industrial Park and located at 35 Airport Drive, west of the Ralph Wenz Airport.
/s/ William W. Cramer, Chairman
Public notice #1441. Published in the Sublette Examiner on January 8, 2009.


Notice
We have in our possession, a white 1990, K-1500 Sierra GMC Pick-up Truck, VIN: 2GTEK19K0L1511596. There is no plate on the vehicle. Currently there is a storage bill dated from November 5, 2008 and a mechanics bill of $3,713.21.
This vehicle has been abandoned at our business and will be auctioned at 9326 Hwy 191, Pinedale, at 12:00 noon, January 28th, 2009, to the highest bidder.
Public notice #1442. Published in the Sublette Examiner on January 8 and 15, 2009.


INVITATION TO BID
THE BIG PINEY CEMETERY DISTRICT BOARD WILL BE RE-BIDDING THE SAME ARTIC CAT 500 4X4 TBX WITH 2800 MILES SERIAL #410115982 WITH DIFFERENT YEAR IT’S A 2004 WITH SNOW PLOW ATTACHMENTS AND OTHERS. THIS EQUIPMENT MAY BE SEEN AT PLAINVIEW CEMETERY OR FOR MORE INFORMATION CALL LARRY AT 1-307-276-3230 OR 1-307-260-6230. SEALED BIDS MUST BE MAILED TO P.O. BOX 183 BIG PINEY, WY. 83113. BIDS HAVE TO BE IN BY JUANUARY 16, 2009 AND WILL BE OPENED AT REGULAR BOARD MEETING JANUARY 19, 2009, AT 7:00 P.M. AT SOUTHWEST SUBLETTE COUNTY PIONEERS, IN MARBLETON, WY.
Public notice #1443. Published in the Sublette Examiner on January 8 and 15, 2009.


OFFICIAL COUNTY COMMISSIONERS PROCEEDINGS
DECEMBER 16, 2008
The Board of County Commissioners met in regular session at the Marbleton Town Hall, Marbleton, Wyoming, on this date at 9:00 a.m. with Bill Cramer, John Linn, Joel Bousman, Tiffany Turner representing the Sublette Examiner, Jonathan Van Dyke of the Pinedale Roundup, and Mary Lankford, County Clerk present.
The minutes of the preceding regular meeting of December 2, 2008, were approved and ordered filed on motion by Commissioner Bousman and seconded by Commissioner Linn. The motion carried.
The official bonds for Randy Bolgiano, Treasurer for the Boulder Volunteer Fire Department, in the amount of $5,000, and Robert Cordes, Treasurer for the Boulder Lake Ranch Improvement District, in the amount of $5,000, were approved and ordered filed with the County Treasurer.
Jay McGinnis discussed improvements to the Dry Piney County Road No. 23-198. Impacts of improving the road to the grazing permittees were discussed.
It was moved by Commissioner Linn and seconded by Commissioner Bousman to adopt Resolution No. 08-10078C vacating part of Beacon Lane of the Airport Subdivision, Resolution No. 08-10079C vacating part of Runway Lane of the Airport Subdivision, and Resolution No. 08-10080C establishing Pinedale Airport County Road No. 23-226. The motion carried.
Butch Penton, Road and Bridge Superintendent, reported on counters at the Calpet and Dry Piney Roads. Penton discussed ozone monitoring along county roads.
It was moved by Commissioner Linn and seconded by Commissioner Bousman to recess the meeting for an Executive Session with Butch Penton to discuss the purchase of property. The motion carried.
It was moved by Commissioner Linn and seconded by Commissioner Bousman to reconvene the meeting.
Annie Sondgeroth, Public Health Nurse, reported that she will retire on February 5, 2009. Sondgeroth reported on the Pandemic Flu table top exercise on March 4, 2009, requested an office in Marbleton for the Public Health Nurse in the vacated Senior Citizens Center and not in the new Marbleton Clinic, requested a Community Health Assessment, and presented a Cash Handling Policy for the Board to consider.
Michael Coburn, Socio-Economic Analyst, reviewed the Community Quality of Life survey. The failure of the Special Purpose Excise Tax was discussed. How people get information was discussed as a possible survey topic.
Mary Lynn Worl and Tina Rock, representing CURED, discussed the newly formed advocacy group.
Public meetings and input were discussed.
Senator Stan Cooper and Representative Kathy Davison discussed the upcoming legislative session and possible bills. Tax relief and wolves will be discussed.
In accordance with the public notice published in the Sublette Examiner on November 27, 2008, public hearing was held for the following:
It was moved by Commissioner Linn and seconded by Chairman Cramer to approve the renewal of the conditional use permit application for a gravel pit by Mark Jones, for extraction, crushing, screening, and storage of gravel on 10 acres, zoned A-1, in the SE1/4SE1/4, Section 18, T31N, R106W, with the following conditions, as amended:
a. The hours of operation are restricted to 6 a.m. to 6 p.m., or daylight hours, whichever are shorter.
b. The conditional use permit shall expire in 5 years from the issuance of said permit.
c. Sublette County Weed & Pest shall be allowed to inspect the storage area throughout the year(s) to insure the storage area is free of noxious weeds and designated weeds, according to the Wyoming Weed & Pest Control Act of 1973 regional forage certification standards.
The motion carried, with the vote being: Cramer-aye, Linn-aye, and Bousman-nay.
It was moved by Commissioner Bousman and seconded by Commissioner Linn to approve the renewal of the conditional use permit application for the temporary storage of heavy equipment by M&N Equipment, for an onsite equipment yard, zoned A-1, in Sections 2 & 3, T31N, R109W, with the following conditions:
a. The conditional use permit for temporary storage shall expire in 5 years from the issuance of said permit.
b. The site shall be kept neat and orderly to minimize visual impact.
c. Storage is limited to the types of equipment on the list provided.
d. Expansion beyond the site plan requires a new conditional use permit.
e. All items outside of the boundaries of the permit will be moved to within the permitted area by February 1, 2009.
The motion carried.
It was moved by Commissioner Linn and seconded by Commissioner Bousman to accept and act upon the recommendation of the Planning and Zoning Commission. Upon vote, the motion carried, and the following resolution was adopted:
RESOLUTION NO. 08-10077C
A RESOLUTION ADOPTING THE RECOMMENDATION OF THE PLANNING AND
ZONING COMMISSION AND APPROVING THE APPLICATION OF DAVE AND TAMMIE BABCOCK TO RECLASSIFY AND REZONE 20 ACRES, MORE OR LESS, FROM A-1 DISTRICT TO I-L DISTRICT AND I-L DISTRICT, LOCATED IN SECTION 20, T29N, R112W.
It was moved by Commissioner Bousman and seconded by Commissioner Linn to approve the Dona Minor Subdivision, with the following conditions:
a. The plat shall not be recorded until approved and signed by the Town of Pinedale.
b. A note shall be included on the plat referencing the requirement of a weed management plan.
The motion carried.
It was moved by Commissioner Linn and seconded by Commissioner Bousman to approve the final plat for Calico Trails Subdivision. The motion carried.
It was moved by Commissioner Bousman and seconded by Commissioner Linn to approve the final plat for Antelope Ridge Estates Subdivision, with the following conditions, as amended:
a. The approved final plat shall not be recorded until subdivision road design and construction plans are submitted and approved by the County contract engineer and a cost estimate and acceptable financial surety are provided for subdivision road(s).
b. The approved final plat shall not be recorded until Covenants, Conditions and Restrictions addressing road maintenance are provided to staff fro review and upon acceptance by staff the Covenants, Conditions and Restrictions shall be recorded with the plat.
c. The Board of County Commissioners shall withhold signature on the plat for Antelope Ridge Estates Subdivision until such time as all necessary agreements are in place to allow for the realignment of the easement of Spring Gulch Road.
d. An affidavit effecting title shall be provided for Antelope Ridge Estates Subdivision stating that only six building permits shall be issued for lots within the subdivision, until such time as the connection of Spring Gulch Road to Shriver Lane is vacated and subdivision roads are completed.
e. The plat for Antelope Ridge Estates Subdivision shall not be recorded until all deficiencies have been corrected to the satisfaction of the County Planning Department.
f. The plat shall not be recorded until a note has been added stating that prior to development on slopes in excess of 15%, a slope stability study, performed by a qualified professional, shall be required and that requirement(s) contained in the County zoning and Development Regulations shall apply to development on lots with slopes in excess of 8%.
g. Assess to Lot 1 shall be from an internal subdivision road, not from Shriver Lane.
The motion carried.
Annie Espenscheid, John Fear, and Todd Stevie, representing the Ag. Center Committee, discussed increasing their staff person to full-time status. The Board referred them to the County Clerk to determine if the person qualifies for full-time status.
John Fear complained about the improvements to the South Piney Road.
Larry Berlin, representing Berlin Architects, presented a proposal for remodeling the Old Pinedale Clinic. The Board will review Berlin’s resume and references, and talk with possible entities that could be housed in the building.
Tony Chambers, representing Chambers Design-Build, Inc. discussed Change Order #5 for the Facilities Maintenance Building. Chambers reported on the Senior Center and Marbleton Ambulance Barn projects.
Accounts Payable audited and approved for payment:
A-CORE OF IDAHO INC 4,528.55 / ADIRONDACK DIRECT 1,166.26 /AIRGAS INTERMOUNTAIN, INC. 336.43 / ALSCO 96.21 / ANTLER INN 58.00 /A TO Z HARDWARE 555.38 / AT&T MOBILITY 41.97 /BAUM HYDRAULICS CORPORATION 487.15 / BELVEAL SIGNS 40.00
BIG J’S AUTO PARTS INC. 4,535.85 / BLUE CROSS/BLUE SHIELD OF WY 110.00 /BOULDER COMMUNITY CENTER 100.00 / JOEL E. BOUSMAN 287.30 / SARAH BREW 256.18 /BUCKY’S OUTDOOR, L.L.C. 867.78 / BURNEY & COMPANY 47.73 /BEST WESTERN OUTLAW INN 384.93 / CAFE ON PINE 80.55 / CASPER C’MON INN 97.19 /CDW GOVERNMENT, INC. 264.39 / CENTURYTEL 1,963.39 /CENTURYTEL OF WYOMING 9,455.12 / CERTIFIED ENGINEERING SYSTEMS 221.33 /CHAMBERS DESIGN-BUILD INC. 651,049.44 / CITY CAB WYOMING 484.20
COLTON TOWER CONSULTANTS, INC 59,580.00 / CONTROL EQUIPMENT COMPANY 741.78
CONSTRUCTION SPECIALTIES, INC. 59.00 / CURTIS COVILL 50.00 /CURRAN-SEELEY FOUNDATION 17,500.00 / DANIEL COMMUNITY CENTER 100.00 /ALLEGRA DAVIS 321.59 / DAVIS & CANNON 3,395.00 / DAVES ELECTRONICS 11,673.31 /DAVE EBERTZ RISK MANAGEMT 5,189.72 / JACK T. DOYLE 3,221.25 /DUSTBUSTERS, INC. 26,206.90 / EAGLE STORAGE 65.00 / BECKY EAKER 106.49 /EIDEN’S CONSTRUCTION LLC 130,065.60 / ENERCREST PRODUCTS, INC. 2,320.21 /MICHAEL F. ENRIGHT 350.00 / EVENFLO COMPANY INC. 783.94 /FIRST AMERICAN TITLE COMPANY 150.00 / THE FIRE EXTINGUISHER 110.00
FIXTER CONSTRUCTION CO., INC 174,033.76 / FLEET SERVICES 592.34 /FORSGREN ASSOCIATES INC. 48,772.63 / FRB WELDING & REPAIR 1,030.88 /FRONTIER FORD 350.26 / GALL’S INC. 599.19 / GARAGE DOOR HANDIMAN 204.50 /GARDNER EQUIPMENT COMPANY, INC. 2,535.00 / GASES PLUS 822.74 /DERETH GEHLHAUSEN 235.17 / JAMES GEHLHAUSEN 16.33 /GLAXOSMITHKLINE PHARMACEUTICALS 1,460.70 / GLOBALSTAR USA 175.36
GOODFELLOW CORPORATION 2,491.96 / GREENWOOD MAPPING, INC. 1,200.00 /GREAT OUTDOOR SHOP 716.00 / RANDALL HANSON 167.58 /HIGH DESERT PLOWING. INC 9,709.00 / HENDERSON ENGINEERS INC 18,371.50 /RICK HOFFMAN 50.00 / HOLIDAY INN 280.00
HAUB SCHOOL & RUCKELSHAUS INSTITUTE 6,643.00 / JACK’S TRUCK & EQUIPMENT 4,374.80 /FRANK JAMES 1,000.97 / JACKSON HOLE MEDICAL IMAGING 82.00 / BARRY JOHNSON 101.90 /RICK JOHNSON 368.55 / KAISER AND COMPANY 7,500.00 /KENWORTH SALES IDAHO FALLS 2,962.63 / KENWORTH SALE ROCK SPRINGS 120.92 /KRISTINE BURTON BACHELLER 473.75 / L&P FINANCIAL SERVICES 529.06 /LEXISNEXIS MATTHEW BENDER 262.20 /LILLIAN E. HARROWER REVOCABLE TRUST 650,400.00 / HELENA LINN 868.33 /LYLE SIGNS INC 864.62 / KATHERINE N. MAJERUS 1,860.00 /MAKING PLACES, INC. 396.12 / METROPOLITAN METHODIST 3,856.44 /MHL SYSTEMS 103.75 / MIDWAY MALL 154.47 / JANET MONTGOMERY 140.89 /MOOSLEY MAILBOXES 51.22 / MOUNTAIN WEST ELECTRIC INC. 28,995.00 / NADSC 90.00 /NATIONAL BUSINESS FURNITURE 417.00 / NELSON ENGINEERING, INC. 34,304.01 /NELICO EQUIPMENT SERVICE & SUPPLIES 952.59 / NETWORK INNOVATIONS, INC. 862.73 /NUTECH SPECIALTIES 1,177.63 / OFFICE DEPOT 94.67 / OFFICE OUTLET 2,671.73 /ANDREW O’NEAL 34.59 / PACIFIC STEEL & RECYCLING 3,036.26
PEPPERMILL HOTEL 248.64 / MARK C. PERRY 5,362.00 / PINEDALE AUTO SUPPLY 2,682.34
PINEDALE LUMBER 62.89 / PINEDALE ROUNDUP 686.00 / PINEDALE SINCLAIR 53.04
PINEDALE RENTAL 93.00 / PLAINSMAN PRINTING & SUPPLY 1,731.40 /STEPHEN L. REESE 3,270.00 / POSITIVE PROMOTIONS 233.40 / U.S. POSTMASTER 629.88 /US POSTMASTER 569.33 / PPS CO.INC. 1,792.99 /PROVIDENCE ARCHITECTURE INC. 25,962.86 / PSC ENVIRONMENTAL SERVICES LLC 4,351.00 /PALACE STATION HOTEL & CASINO 1,741.47 / STATE OF WYOMING 1,884.17 /QUALITY INN & SUITES 280.00 / R&B SUPPLY 200.00 /R & E COMPUTER SERVICE LLC 85.00 / JASON RAY 14.54 /REDWOOD TOXICOLOGY LABORATORY 3,427.40 / RENDEZVOUS POINTE 9,640.00 /RURAL HEALTH CARE DISTRICT 168.00 / ROCKY MOUNTAIN POWER 10,997.59 /ROCKY MOUNTAIN WASH, LLC 454.00 / ROBINSON TEXTILES 1,995.00 /ROCKY MOUNTAIN PROPANE 1,396.22 / R.S. BENNETT CONSTRUCTION INC. 162,720.53 /KATHERINE RYAN 407.29 / SAFETY SUPPLY & SIGN CO. INC 675.03
DON SCHOOLEY 110.23 / SUBLETTE COUNTY PREDATOR BOARD 2,248.58 /SIEMENS HEALTHCARE DIAGNOSTICS 5,021.31 /SIRCHIE FINGER PRINT LABORATORIES 158.39 / SKAGGS COMPANIES, INC. 263.60 /ST.ANTHONY NEW HOLLAND ACQUSION 188.00 / SPRINGHILL SUITES 350.00 /SWEETWATER SNOW POKES 20,000.00 / SERVICE TRUCKS INTERNATIONAL 214.11 /DOUG STRIKE 360.00 / SUBLETTE EXAMINER 1,500.00 / SUMMIT PARTNERS LLC 400.00 /SUNDOWNER STATION 210.00 / SURVEYOR SCHERBEL, LTD. 13,894.35 /SYMBOLARTS 1,783.50 / TELETRACTORS, INCORPORATED 20,000.00 / SHANE TEMLAR 556.18 /TETON MOTORS, INC 176.72 / TOP SHELF ARTIC CAT 448.90 / TOWN OF MARBLETON 38.78 /TRANS EQUIPMENT SUPPLY-RCK. SPR 1,623.00 / ULTRAMAX 1,095.00
UNION TELEPHONE 132.60 / UPS SUPPLY CHAIN SOLUTIONS, INC. 68.21 /VISTA PROPERTIES LLC 2,000.00 / WY DEPT OF TRANSPORTATION 1,789.65 /WESTERN PLAINS MACHINERY CO. 178.54 / WEST PAYMENT CENTER 1,947.73 /WESTERN TIRE CHAIN 1,557.90 / WESTERN WYOMING PATHOLOGY 1,400.00 /WILLIAMS AUTOMOTIVE INC. 517.32 / RALPH E. WOOD 1,687.50 /WYOMING MACHINERY COMPANY 263,879.80 / WYOMING.COM 104.85
WYO LAW ENFORCEMENT ACADEMY 650.00 / WYOMING RANGE MEDICAL 3,180.50
WYOMING WORKER’S SAFETY AND 9,506.60 / XEROX CORPORATION 2,066.00 /XEROX CORPORATION 463.92 / ZEE MEDICAL SERVICE 79.15 / MASON ZEIGER 353.79
There being no further business, the meeting was adjourned to 5:30 p.m.
BOARD OF COUNTY COMMISSIONERS
SUBLETTE COUNTY, WYOMING
/s/ William W. Cramer, Chairman
Attest:
/s/ Mary L. Lankford, County Clerk
Public notice #1444. Published in the Sublette Examiner on January 8, 2009.


FINAL PUBLIC NOTICE
Koch Construction, Inc. of Daniel, Wyoming has applied for a small mining permit from the Land Quality Division of the Department of Environmental Quality for the State of Wyoming. The mining permit area for the mining of sand and gravel will be located in: Sections 21 and 28, T34N R111W, Sublette County, Wyoming. The James Gravel pit is approximately 3 miles northwest of the town of Daniel and approximately 0.5 miles from Highway #354. The proposed operation is schedule to begin April 2009 and is estimated to continue until 2040. The land, after mining, will be returned to grazing land. Information regarding the proposed mining operation and reclamation procedures may be reviewed in the Office of the Land Quality Division of the Department of Environmental Quality in Cheyenne and Lander, the office of Koch Construction, Inc. in Daniel, or the Sublette County Clerk’s Office in Pinedale, Wyoming. Written objections to the proposed mining operation must be received by the Administrator of the Land Quality Division of the Department of Environmental Quality, Herschler Building, 122 West 25th Street, Cheyenne, WY 82002, before the close of business February 14, 2009. If an objection is submitted a public hearing shall be held within twenty (20) days after the final date for filling objections unless a different period is stipulated to by the parties. The Council or Director shall publish notice of the time, date and location of the hearing or conference in a newspaper of general circulation in the locality of the proposed operation once a week or two (2) consecutive weeks immediately prior to the hearing or conference. The hearing shall be conducted as a contested case in accordance with the Wyoming Administrative Procedure Act (W.S. 16-3-101 through 16-3-115), and the right judicial review shall be afforded as provided in that act. All parties as given in W.S. 35-11-406(j) will be mailed a copy of this notice. The Wyoming Oil and Gas Commission will be mailed a copy of the application mine plan map as required in W.S. 35-11-406 (j).
Public notice #1445. Published in the Sublette Examiner on January 15 and 22, 2009.

See The Archives for past articles.


Copyright © 2002-2009 Sublette Examiner
All rights reserved. Reproduction by any means must have permission of the Publisher.
Sublette Examiner, PO Box 1539, Pinedale, WY 82941   Phone 307-367-3203
examiner@wyoming.com