From the pages of
Sublette Examiner
Volume 8, Number 41 - January 1, 2009
brought to you online by Pinedale Online

Public Notices


PUBLIC NOTICE
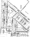
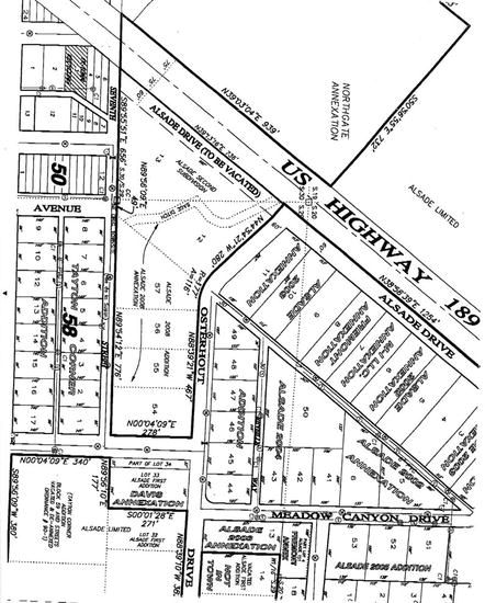
The Town Council of the Town of Marbleton, County of Sublette is considering to vacate part of Alsade Drive crossing Lot 12 and Lot 13 of the Alsade Second Subdivision to the Town of Marbleton of record in the Office of the Clerk of Sublette County in Book 35 of Miscellaneous records on page 428 in accordance with Wyoming Statutes, 2007, as amended, Section 15-4-305.
All objections thereto or claims for damages by reason thereof must be filed in writing with the Town clerk before 3:00 P.M. on the 12th day of January, 2009 or such road may be vacated without reference to such objections or claims for damages.
Dated 23 December 2008
Anita Murphy, Town Clerk
Public notice #1440. Published in the Sublette Examiner on January 1 and 8, 2009.


IN THE DISTRICT COURT OF SUBLETTE COUNTY, WYOMING
NINTH JUDICIAL DISTRICT
IN THE MATTER OF THE CHANGE
OF NAME OF ALISE DANAE STERCK
Civil No. 2008-7305
A Minor Child.
NOTICE is hereby given that on the 2nd day of December 2008, a verified Petition For Change of Name was filed in the above Court to change the name of Alise Danae Sterck to Elise Baca Barbara Danae Sterck.
All interested persons must file any answer or objection thereto on or before January 2, 2009, or the Petition may be granted without further notice.
DATED, this 2__ day of Dec. __2008.
Marilyn Jensen
Clerk of the District Court
Public notice #1428. Published in the Sublette Examiner on Dec. 11, 18, and 25, 2008 and January 1, 2009.


INVITATION TO BID
Town of Big Piney, Wyoming
PO Box 70
401 Budd Avenue
Big Piney, WY 83113
Separate sealed BIDS for the construction of the Big Piney Maintenance Building will be received by the Town of Big Piney, Wyoming at the office of the Town Clerk until 3:00 p.m. local time Tuesday, January 6, 2009 .
The CONTRACT DOCUMENTS may be examined at the following locations:
Forsgren Associates, Inc.
Big Piney Town Hall
849 Front Street, Suite 201
401 Budd Avenue
Evanston, WY 82930
Pinedale, WY 83113
(307) 789-6735
(307) 367-4372
The Project consists of the following work: Construction of a 80 foot by 40 foot steel maintenance building including interior framing and finish work, electrical, mechanical, plumbing, sitework, and other related incidentals.
Copies of the CONTRACT DOCUMENTS may be obtained at the office of FORSGREN ASSOCIATES, INC.
Preference will be given to resident Wyoming Contractors in the amount of five percent (5%) of the low bid in accordance with Wyoming Statute 16-6-101, et. seq.
The Town of Big Piney reserves the right to reject any or all bids or any part of any bid, to waive any formality in any bid, as its best interest may appear.
Public notice #1434. Published in the Sublette Examiner on Dec. 18, and 25, 2008 and January 1, 2009.


PUBLIC NOTICE
Pursuant to the Wyoming Weed and Pest Control Act of 1973 (W.S. 11-5-101 through 11-5-303), notice is hereby given to solicit nominations for appointment to the Sublette County Weed and Pest Control District. A District Board Member must be a qualified elector (registered voter) of the board member area he/she is to represent, but is not required to be a landowner. Appointments will be made at the regular meeting of the Board of County Commissioners on Tuesday, January 6, 2009, at 10:30 a.m. in accordance with W.S. 11-5-104. Prior to appointment, the nominee for Director shall submit a petition signed by at least ten (10) landowners, to the Office of the County Clerk, by 5 p.m., Friday, January 2, 2009. Appointments will be made to the following districts: Big Piney, Boulder, and At-Large.
BOARD OF COUNTY COMMISSIONERS
SUBLETTE COUNTY, WYOMING
/s/ Betty Fear, Chairman
Public notice #1439. Published in the Sublette Examiner on Dec. 25, 2008 and January 1, 2009.

See The Archives for past articles.


Copyright © 2002-2009 Sublette Examiner
All rights reserved. Reproduction by any means must have permission of the Publisher.
Sublette Examiner, PO Box 1539, Pinedale, WY 82941   Phone 307-367-3203
examiner@wyoming.com