From the pages of
Sublette Examiner
Volume 8, Number 40 - December 25, 2008
brought to you online by Pinedale Online

Public Notices


NOTICE OF PUBLIC HEARING
State of Wyoming
County of Sublette
Town of Pinedale
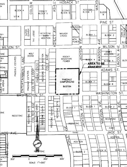
A public hearing will be held on January 26, 2008 at 5:30 p.m. at the Pinedale Town Hall in accordance with Wyoming Statutes, 2007, as amended, Section 15-1-405(a). This notice includes a copy of the Proposed Annexation Report required by Section 15-1-402 (c) as follows:
PROPOSED ANNEXATION REPORT
PINEDALE CAMPGROUND
ANNEXATION TO THE TOWN OF PINEDALE
In accordance with the Statute, the following is reported:
(i) A map of the area proposed to be annexed is attached.
(ii) The total estimated cost of infrastructure improvements required of the landowner by the Town of Pinedale related to this annexation.
Water Ð NONE
Sewer Ð NONE
Streets Ð NONE
(iii) A list of basic and other services customarily available to residents of the Town and a timetable when those services will reasonably be available to the area proposed to be annexed.
Sewer, water, and streets are currently provided to the property. The completion of Washington Street between Jackson Ave and Cole Ave will be the responsibility of the Town of Pinedale. Fire and police protection is immediately available. Utilities such as electrical power, natural gas, and telephone are available.
(iv) A projected annual fee or service cost for services described in paragraph (iii) of this subsection.
Proposed use to remain RV Park as exists:
Water Ð Hook-up fee - $150 / unit
Sewer Ð Hook-up fee - $150 / unit
Annual Fee - $432.36 / unit (Water & Sewer)
Annual Fee - $15,132.60 (35 units Water & Sewer)
(v) The current and projected property tax mill levies imposed by the Town of Pinedale.
Mill levy Ð 8 (statutory maximum)
(vi) The cost of infrastructure improvements required within the existing boundaries of the Town of Pinedale to accommodate the proposed annexation.
Water Ð 50 feet ± of water line at $75/ft. $3,750
Sewer Ð 150 feet ± of sewer line at $70/ft. $10,500
These improvements shall be made by the property owners to Town specifications at no cost to the Town.
In addition, it is the request of the property owners:
(a) That the land be zoned Commercial (C-1)
(b) That the governing body designates Rocky Mountain Power to serve the annexed area pursuant to W.S. 15-1-410 and to authorize the designated utility to service the entire annexed area.
Patty Racich, Town Clerk
Public notice #1431. Published in the Sublette Examiner on Dec. 18, 2008.


NOTICE OF ACCEPTANCE AND
FINAL SETTLEMENT
QUEALY AVENUE AND DODGE STREET WATERLINE AND STREET
RECONSTRUCTION
TOWN OF BIG PINEY
NOTICE IS HEREBY PUBLISHED that the Town of Big Piney has accepted as completed all work on the Quealy Avenue and Dodge Street Waterline and Street Reconstruction Project according to the plans, specifications and rules set forth between the Town of Big Piney and R.S. Bennett of Big Piney, Wyoming and the Contractor is entitled to settlement thereof.
Final payment will be made after the completion of publication of this Notice. The date of first publication is November 20, 2008 and the date of final settlement is December 31, 2008
Any claim or claims for work or labor due, or for materials or supplies furnished, must be accordingly filed with the Town of Big Piney prior to the above published date of final settlement.
Public notice #1418. Published in the Sublette Examiner on Dec. 11, 18 and 25, 2008.


IN THE DISTRICT COURT OF SUBLETTE COUNTY, WYOMING
NINTH JUDICIAL DISTRICT
IN THE MATTER OF THE CHANGE
OF NAME OF ALISE DANAE STERCK
Civil No. 2008-7305
A Minor Child.
NOTICE is hereby given that on the 2nd day of December 2008, a verified Petition For Change of Name was filed in the above Court to change the name of Alise Danae Sterck to Elise Baca Barbara Danae Sterck.
All interested persons must file any answer or objection thereto on or before January 2, 2009, or the Petition may be granted without further notice.
DATED, this 2__ day of Dec. __2008.
Marilyn Jensen
Clerk of the District Court
Public notice #1428. Published in the Sublette Examiner on Dec. 11, 18, and 25, 2008 and January 1, 2009.


INVITATION TO BID
Town of Big Piney, Wyoming
PO Box 70
401 Budd Avenue
Big Piney, WY 83113
Separate sealed BIDS for the construction of the Big Piney Maintenance Building will be received by the Town of Big Piney, Wyoming at the office of the Town Clerk until 3:00 p.m. local time Tuesday, January 6, 2009 .
The CONTRACT DOCUMENTS may be examined at the following locations:
Forsgren Associates, Inc.
Big Piney Town Hall
849 Front Street, Suite 201
401 Budd Avenue
Evanston, WY 82930
Pinedale, WY 83113
(307) 789-6735
(307) 367-4372
The Project consists of the following work: Construction of a 80 foot by 40 foot steel maintenance building including interior framing and finish work, electrical, mechanical, plumbing, sitework, and other related incidentals.
Copies of the CONTRACT DOCUMENTS may be obtained at the office of FORSGREN ASSOCIATES, INC.
Preference will be given to resident Wyoming Contractors in the amount of five percent (5%) of the low bid in accordance with Wyoming Statute 16-6-101, et. seq.
The Town of Big Piney reserves the right to reject any or all bids or any part of any bid, to waive any formality in any bid, as its best interest may appear.
Public notice #1434. Published in the Sublette Examiner on Dec. 18 and 25, 2008 and Jan. 1, 2009.


OFFICIAL COUNTY COMMISSIONERS PROCEEDINGS
DECEMBER 2, 2008
The Board of County Commissioners met in regular session in the Sublette County Courthouse in Pinedale, Wyoming, on this date at 9:00 a.m. with Bill Cramer, John Linn, Joel Bousman, Jonathan Van Dyke of the Pinedale Roundup, and Mary Lankford, County Clerk present.
Chairman Cramer led those present in the Pledge of Allegiance.
The minutes of the preceding regular meeting of November 18, 2008, were amended as follows: Paragraph 6: Delete ÒForest Service Roads.Ó and add: Òroads accessing the Forest Service lands.Ó It was moved by Commissioner Linn and seconded by Commissioner Bousman to approve the minutes as amended. The motion carried.
The official bond for Marilyn Jensen, Treasurer for the Boulder Mosquito Improvement District, in the amount of $1,000 was approved and ordered filed with the County Treasurer.
Butch Penton, Road & Bridge Superintendent, reported on the Luman Dug way, construction on the Big Piney Cemetery Road, crusher repair, a cattle guard on the Calpet Road, work on the Harrower property on the LaBarge Creek Road, and the straightening of the Upper Hoback River Road.
It was moved by Commissioner Bousman and seconded by Commissioner Linn to recess the meeting for an Executive Session with Butch Penton to discuss the purchase of property. The motion carried.
It was moved by Commissioner Linn and seconded by Commissioner Bousman to reconvene the meeting.
Mark Eatinger, representing Rio Verde Engineering, reported on the completion of the Industrial Site road project.
Dawn Mitchell, Jeff Lewis, and Mark Kroeger, representing the Ice Rink Committee, discussed the need for a new compressor system. The Board took no action.
Rick Hoffman, Waste Management Superintendent, discussed the operation of the Pinedale Transfer Station. The Board discussed future operation of the Transfer Station and bidding the hauling.
Dave Hanks, Rock Springs Chamber of Commerce Director, expressed his support for the continued operation of the Visitors Center.
Rick Dustin and Mindi Crabb discussed the Scenic Byways Grant, secured by the Lodging Tax Board, at its use at the Visitors Center.
John Godfrey, representing the Lodging Tax Board, discussed the proposed activities of the Lodging Tax Board, with the defeat of the Lodging Tax.
Jo Crandall and Angie Smith discussed the defeat of the Special Purpose Excise Tax.
John Fixter and Mark Fixter, representing Fixter Construction, presented a progress report on the Library Addition. Commissioner Linn discussed door hardware and the associated cost of its installation.
In accordance with the public notice published in the Sublette Examiner on November 13, 2008, public hearing was held for the following:
It was moved by Commissioner Linn and seconded by Commissioner Bousman to approve the Final plat for the Calpet Road Industrial Subdivision. The motion carried, and the County Clerk was directed to hold the plat before recording for the subdivision road plans and acceptable financial surety.
It was moved by Commissioner Linn and seconded by Commissioner Bousman to recess the meeting for an Executive Session with Mel Owen, Kurt Watts, and Kevin Williams of Questar to discuss real estate. The motion carried.
It was moved by Commissioner Linn and seconded by Commissioner Bousman to reconvene the meeting.
The following abatement petitions and affidavits of abatement of taxes were presented on petition from the County Assessor and the State of Wyoming Board of Equalization: Chevron USA, Inc., $11,926.58, Chevron USA, Inc., $7,806.83, Chevron USA, Inc., $462.08, Cimarex Energy Company, $0.89, BP American Production Company, $25.62, EOG Resources Inc., $14,143.93, EOG Resources Inc., $234.06, and Encana Oil & Gas (USA) Inc., $207.86.
Terri Swift, Forrest Wakefield, and James Helm, representing the Sublette County Chamber of Commerce, discussed the contract with the Chamber to operate the Visitors Center and the defeat of the Lodging Tax. The Board expressed its continued support of the Chamber and the Visitors Center, and directed that the additional funds required to support the Visitors Center be submitted, monthly, starting in January 2009.
It was moved by Commissioner Bousman and seconded by Commissioner Linn to award a bid to John Blaha for the amount of $150.00 for fire equipment. The motion carried.
Accounts Payable audited and approved for payment:
9-1-1 MAGAZINE 31.95 / ACCUTEC SERVICES, INC 21,966.00 / ALSCO 111.21 /ARCHITECTURAL BUILDING SUPPLY 2,140.00 / AT&T 57.73 /BARNES DISTRIBUTION 1,203.75 / JOEL E. BOUSMAN 128.90 / SARAH BREW 334.69 /BUCKÕS WELDING 1,400.00 / CARNEY ARCHITECTS 4,127.46 /CDW GOVERNMENT, INC. 320.13 / CENTURYTEL 3,444.98 / MICHAEL COBURN 5,576.22 /COMMUNICATION CONCEPTS 139.95 / COMFORT INN-LARAMIE 910.00 /DAVIS & CANNON 4,644.03 / JEAN A. DAY 22,346.33 / DEKRA-LITE 303.83
WY DEPT OF TRANSPORTATION 985.00 / DIV OF ALAMO SALES CORP 969.48 /ECOSYSTEM RESEARCH GROUP, LLC 3,493.75 / EIDENÕS CONSTRUCTION LLC 735.00 /ELECTION SYSTEMS & SOFTWARE, INC. 1,260.00 / FIRE ENGINEERING COMPANY 2,402.00 /NANCY FOX 401.50 / FRONTIER FORD 25.00 / FULLER & SCHAEDLER LAW OFFICES 223.00 /GALLÕS INC. 729.99 / DERETH GEHLHAUSEN 621.99 / RANDALL HANSON 296.54 /HENDERSON ENGINEERS INC 1,250.00 / HOLIDAY INN EXPRESS SANDY 471.42 /H-K CONTRACTORS, INC. 36,911.47 / ALAN HOUSTON 2,000.00 /KATHERINE HOUSTON 1,000.00 / HUTCHINSON OIL 801.52 / ID VILLE 208.49 /INTERSTATE BATTERIES OF 343.80 / JACKÕS TRUCK & EQUIPMENT 438.31 /BARRY JOHNSON 119.99 / JOHN THOMAS JOHNSTON 500.00 /KENWORTH SALE ROCK SPRINGS 20.14 / ANGIE KOLIS 63.85 /L&P FINANCIAL SERVICES 34,986.11 / LABUDA LAW OFFICE, PC 445.00 /LITTCO HOTEL & RESTAURANT SUPPLIES 108.43 / HOLDINGÕS LITTLE AMERICA 91.45 /LOGGER DISTRIBUTING 239.99 / RANAE LOZIER 515.59 / REBECCA MANNING 268.84 /MANTEK 1,330.20 / LUCKETTA MCMAHON 73.78 / MEDELA 31.00
METROCOUNT USA INC. 354.00 / TYLER MIKESELL 306.87 / MOORE MEDICAL,LLC 83.64
NATIONAL 4-H COUNCIL-SUPPLY SERVICE 140.75 / NACCHO 6.75 /NELICO EQUIPMENT SERVICE & SUPPLIES 28.62 / NEW WAVE HOMEBUILDERS LLC 28,873.00 /NORMONT EQUIPMENT CO 470.50 / OFFICE OUTLET 951.03 / PAPE RANCHES, INC. 3,000.00 /PINE CREEK FAMILY COUNSELING, LLC 5,039.08 / PINEDALE EMS 543.94 /MARK C. PERRY 7,497.00 / HELEN HEGARDT 225.00 /PINEDALE NATURAL GAS CO. 8,202.15 / PINEDALE ROUNDUP 434.00 /PLAINSMAN PRINTING & SUPPLY 157.36 / POCKET PRESS, INC. 339.60 /PRECINCT POLICE PRODUCTS 822.50 / PSC ENVIRONMENTAL SERVICES LLC 2,793.80 /PUBLIC SAFETY CENTER INC. 175.90 / QUESTAR GAS 222.09 / QUILL CORPORATION 5.85 /R & E COMPUTER SERVICE LLC 6,250.00 / RECYCLE SYSTEMS, LLC 22,835.63 /RELIABLE 47.98 / RENDEZVOUS POINTE 9,594.00 / RENDEZVOUS TRAVEL 3,990.01 /RURAL HEALTH CARE DISTRICT 305.00 / RIDLEYÕS FAMILY MARKETS 1,545.38 /ROCKY MOUNTAIN POWER 162.60 / ROBIN SCHAMBER 474.34 /ROCKY MOUNTAIN PROPANE 1,266.54 / ROYAL CHEMICAL INC. 4,398.42
SANOFI PASTEUR 1,027.43 / SATCOM GLOBAL FZE 122.40 /SUBLETTE COUNTY SCHOOL DIST #9 125.00 /SECURITY TRANSPORT SERVICES, INC. 2,242.50 / SHEPARDÕS AUTO 46.95
SHERWIN-WILLIAMS 1,270.70 / SKAGGS COMPANIES, INC. 437.45 /SOMMERS STUDIO 3,930.00 / ANNIE SONDGEROTH 94.46 /SPILLMAN TECHNOLOGIES, INC. 2,692.00 / SUBLETTE EXAMINER 820.00 /SUPERIOR BOILER INC. 1,688.18 / TELETRACTORS, INCORPORATED 25,698.46 /THE TIRE DEN, INC. 12,073.86 / THE TIRE STORE INC. 74.00 /TRI-STATE TRUCK & EQUIPMENT INC 870.11 / UNION TELEPHONE 2,343.34 /CAT URBIGKIT 6,000.00 / VERIZON WIRELESS 330.52 /VISIONARY COMMUNICATIONS INC 25.00 / WAXIE SANITARY SUPPLY 2,483.16 /WASATCH BACKCOUNTRY RESCUE 800.00 / WEST BANK SANITATION 99.40
WESTERN PLAINS MACHINERY CO. 201.49 / WEST PAYMENT CENTER 847.53 /WILLIAMS AUTOMOTIVE INC. 1,218.42 / SKYLAR WILSON 1,140.00 /WLC ENGINEERING, SURVEYING AND PLAN 2,953.75 /WY STATE FIRE MARSHALÕS OFFICE 1,632.60 / WY TECHNOLOGY TRANSFER CTR 45.00 /WYOMING STATE 4-H FOUNDATION 500.00 / WYOMING MACHINERY COMPANY 20,945.53 /WYOMING.COM 616.90 / XEROX CORPORATION 207.62 / XEROX CORPORATION 670.15
There being no further business, the meeting was adjourned at 4:00 p.m.
BOARD OF COUNTY COMMISSIONERS
SUBLETTE COUNTY, WYOMING
/s/ William W. Cramer, Chairman
Attest:
/s/ Mary L. Lankford, County Clerk
Public notice #1435. Published in the Sublette Examiner on Dec. 25, 2008.


PUBLIC NOTICE
According to the provisions of Chapter 3, Section 26(b), Wyoming Education Code of 1969, the following warrants over $500.00, excluding individual salaries, were issued by the Sublette County School District No. 9 for the following months: October 2008
Vendor/Payee Name
Amount
ISC INC $37,119.17
TIGERDIRECT $25,598.31
PEARSON EDUCATION $19,335.38
ROCKY MOUNTAIN POWER $18,167.66
NORTHEAST WYOMING BOCES $14,804.38
SYSCO INTERMOUNTAIN FOOD SERV
$14,619.88
QUESTAR GAS $13,081.25
GLENCOE/MCGRAW HILL $12,873.80
FIRST BANKCARD $6,510.44
SCSD#9 REFEREE ACCOUNT $6,436.50
MIDWAY TRUCK STOP $5,641.84
PHOENIX LEARNING $5,274.45
US FOODSERVICE INC $5,163.91
WILLIAM SCOTSMAN INC $4,832.88
CREAM OÕ WEBER DAIRY $4,367.05
CUMMINS ROCKY MOUNTAIN LLC $4,135.86
OFFICE OUTLET $3,802.23
WAXIE SANITARY SUPPLY $3,568.22
WESTERN WYOMING BEVERAGE $3,114.80
TEAM LABORATORY CHEMICAL CORP $3,089.00
FIRST BANKCARD $3,020.00
SCHOOL SPECIALTY $3,001.87
THE MORTENSON GROUP, P.C. $2,868.88
NICHOLAS & COMPANY $2,785.17
WALMART COMMUNITY $2,620.96
ALL AMERICAN FUEL CO INC $2,517.62
CENTURYTEL $2,505.29
DRY CREEK STATION $2,262.57
GENERAL FUND-SCSD#9 $2,080.00
PREMIER SCHOOL AGENDAS $1,960.65
PERFORMANCE PATHWAYS $1,950.00
KAY PITCHFORD $1,920.00
F B MCFADDEN WHOLESALE $1,844.50
FOLLETT SOFTWARE COMPANY $1,600.00
PINEDALE AUTO SUPPLY $1,587.86
PEPPER OF NORTH DAKOTA $1,441.74
BLICK ART MATERIALS $1,440.30
GREEN RIVER GLASS & LOCK $1,423.72
MADER, TSCHACHER, PETERSON & CO
$1,400.00
SUBLETTE EXAMINER $1,272.00
R & B CONTROL $1,214.70
ATCO INTERNATIONAL $1,210.90
HILL MUSIC COMPANY $1,206.48
WESTERN WYOMING COMM COLLEGE
$1,172.62
FOLLETT LIBRARY RESOURCES $1,085.98
KING ELECTRIC INC $1,068.86
WEST BANK SANITATION $1,068.58
WY ASSOC/ELEM SCHL PRINCIPALS
$1,050.00
THE FIRE EXTING GUY/GAL INC $1,024.00
ELDER EQUIPMENT $1,019.20
TOWN OF BIG PINEY $977.92
REAL KLEEN INC $976.38
H & H DOCUMENT SOLUTIONS $935.47
MOVIE LICENSING USA $926.25
UNIVERSAL ATHLETIC SERVICE $880.35
BROWN ÔN GOLD INCORPORATED $808.81
STEVE NELSON $792.50
SHARE CORP $761.68
GASES PLUS $682.14
SCHOOL NURSE SUPPLY $640.20
GENERAL FUND-SCSD#9 $640.07
F B MCFADDEN WHOLESALE $635.55
HIGH SECURITY LOCK & ALARM $616.00
CHEMSEARCH $600.99
G L SPORTS $589.93
IKON OFFICE SOLUTION $543.04
IBC WONDER BREAD/HOSTESS BREAD
$542.52
UNION TELEPHONE COMPANY $531.41
Public notice #1436. Published in the Sublette Examiner on Dec. 25, 2008.


Legal Notice
According to the provisions of Chapter 3, Section 26(b), Wyoming Education Code of 1969, the following warrants over $500.00, excluding individual salaries, were issued by the Sublette County School District No. 9 for the following months: November 2008
Vendor/Payee Name
Amount
ROCKY MOUNTAIN POWER $19,053.18
QUESTAR GAS $18,539.55
SYSCO INTERMOUNTAIN FOOD SERV
$16,530.21
NORTHEAST WYOMING BOCES $14,804.38
EDUCATIONAL TRAVEL CONSULTANTS
$13,500.00
INTERMOUNTAIN ELECTRIC SERVICE
$9,605.66
ALL AMERICAN FUEL CO INC $7,462.23
FIRST BANKCARD $7,159.38
US FOODSERVICE INC $6,537.73
OFFICE OUTLET $5,122.47
WILLOW CREEK TOOL SALE INC $4,982.99
WILLIAM SCOTSMAN INC $4,832.88
CHEMSEARCH $4,758.27
GUMDROP BOOKS $4,429.93
WOODWORKERÕS SUPPLY $4,266.25
NICHOLAS & COMPANY $4,045.04
TIGERDIRECT $3,965.48
CREAM OÕ WEBER DAIRY $3,748.40
WALSWORTH PUBLISHING COMPANY
$3,639.09
SCHOOL SPECIALTY $3,184.46
BYTE SPEED $3,100.00
E & L MOTORS $2,837.93
CENTURYTEL $2,728.61
SHIRTS & MORE $2,621.28
POCO LOCO SWIM SHOP $2,370.40
DRY CREEK STATION $2,174.78
THE MORTENSON GROUP, P.C. $2,057.50
GASES PLUS $2,035.67
PEARSON SCHOOL SYSTEMS $2,023.50
FRANK PAXTON LUMBER COMPANY LLC
$1,926.13
KAY PITCHFORD $1,920.00
SCHOLASTIC BOOK FAIRS -13 $1,813.08
PROACTIVE PHYSICAL THERAPY $1,725.00
GRAINGER $1,639.27
QSP INC $1,631.35
UNIVERSAL ATHLETIC SERVICE $1,631.22
ELDER EQUIPMENT $1,531.00
WYOMING DEPT OF EDUCATION $1,465.36
WILLIAMS AUTO $1,377.12
SUBLETTE EXAMINER $1,347.50
GREAT SOURCE EDUCATION GROUP
$1,339.40
AMERICAN RED CROSS OF WYOMING
$1,290.00
BEE BEE QUE FOODS $1,270.08
EMILY DIBLASI $1,260.00
R & B CONTROL $1,165.00
PINEDALE AUTO SUPPLY $1,090.55
SWEETWATER STEEL CENTER INC $1,088.42
CEM AQUATICS $1,087.14
FIRST BANKCARD $1,080.12
WEST BANK SANITATION $1,068.58
BUSH-WELLS SPORTING GOODS $1,038.71
WALMART COMMUNITY $1,016.26
GREEN RIVER GLASS & LOCK $1,007.40
MIDWAY TRUCK STOP $941.26
SHARE CORP $906.90
QED - DENVER $844.79
MID-AMERICAN RESEARCH CHEMICAL
$785.57
CNA SURETY $775.00
DEBRA STOUTENBURG $769.86
REAL KLEEN INC $764.61
WAXIE SANITARY SUPPLY $705.97
BURNEY & CO. $685.43
F B MCFADDEN WHOLESALE $682.88
ATCO INTERNATIONAL $630.15
WESTERN WYOMING BEVERAGE $627.00
IKON OFFICE SOLUTION $617.35
JILDA M. SENATORE $600.00
UNION TELEPHONE COMPANY $596.50
MIDWAY MALL $583.28
WESTERN WYOMING COMM COLLEGE
$576.31
TOWN OF BIG PINEY $574.73
COMFORT INN & SUITES - RIVERTON
$559.93
SHELL FLEET PLUS $559.62
JOHNSTONE SUPPLY $545.49
Public notice #1437. Published in the Sublette Examiner on Dec. 25, 2008.


BEFORE THE OIL AND
GAS CONSERVATION COMMISSION
OF THE STATE OF WYOMING
The following matters will come before this Commission on TUESDAY, JANUARY 13, 2009, at 9:00 A.M., or as soon thereafter as the matters may be heard, or between the hours of 8:00 A.M. and 5:00 P.M. on any of the subsequent days during which the Commission remains in session at the office of the State Oil and Gas Supervisor, 2211 King Boulevard, Casper, Wyoming.
Cause No. 4, Order No. 3, DOCKET NO. 664-2008, brought on the application of EOG Resources, Inc., for an order under the Oil & Gas Conservation Commission Rule in Chapter 3, Section 35, as amended, authorizing the surface commingling of production and approving an allocation methodology for all wells drilled in portions of Sections 13 and 14, Township 29 North, Range 113 West, 6th P.M., Big Piney Field, Sublette County, Wyoming.
Cause No. 4, Order No. 3, DOCKET NO. 665-2008, brought on the application of EOG Resources, Inc., for an order under the Oil & Gas Conservation Commission Rule in Chapter 3, Section 35, as amended, authorizing the surface commingling of production and approving an allocation methodology for all wells drilled in portions of Sections 24 and 25, Township 29 North, Range 113 West, 6th P.M., Big Piney Field, Sublette County, Wyoming.
Cause No. 1, Order No. 1, DOCKET NO. 23-2009, brought on the application of EnCana Oil & Gas (USA) Inc. for an order vacating a portion of the CommissionÕs order in Docket No. 86-2007 insofar as it designates two ÒlaydownÓ 80-acre drilling and spacing units and reconfiguring the NW1/4 of Section 30, Township 29 North, Range 108 West, 6th P.M., as standup units; all in Sublette County, Wyoming.
Cause No. 3, Order No. 1, DOCKET NO. 24-2009, brought on the application of Shell Rocky Mountain Production LLC for an order authorizing a pilot program and increased density of thirty-two (32) wells per quarter section for the Lance Formation as defined in Docket No. 126-2003 for the SW1/4 of Section 9 and the SW1/4 of Section 10, Township 30 North, Range 108 West, 6th P.M.; the NE1/4 of Section 3, Township 31 North, Range 109 West, 6th P.M.; and the NE1/4 of Section 27, the NE1/4 of Section 29, the SW1/4 of Section 34 and the SW1/4 of Section 35, Township 32 North, Range 109 West, 6th P.M.; all in the Pinedale Field area, Sublette County, Wyoming; with the authorized wells to be located anywhere within the quarter section, provided that no well be drilled closer than a certain distance from quarter section boundaries and the boundaries of the lands covered by this application, as described in detail in the application; affirming all exception location orders previously granted by the Commission for the area at issue in this application; and, after notice, authorizing the directional drilling of the wells.
Any interested party is entitled to appear at the aforesaid time and place to be heard by the Commission. The applications may be inspected in the office of the undersigned, 2211 King Boulevard, Casper, Wyoming, or on the Oil & Gas Conservation Commission website at HYPERLINK Òhttp://wogcc.state.wy.usÓhttp://wogcc.state.wy.us.
If there are any protests, please make such known to the State Oil and Gas Supervisor at least ten (10) working days before the hearing by filing a written protest. Pursuant to Chapter 5, Section 12 of the Wyoming Oil & Gas Conservation Commission Rules & Regulations, the written protest must state the grounds of the protest and include information and evidence to demonstrate that: (A) The protestant is a party entitled to notice or relief under Wyo. Stat. Ann. ¤¤ 30-5-101 through 30-5-410; (B) The protestant seeks a remedy that is within the jurisdiction and authority of the Commission. No action shall be taken on an objection or protest that is not timely filed.
DATED this 18th day of December, 2008.
WYOMING OIL & GAS
CONSERVATION COMMISSION
/s/ Don J. Likwartz, Secretary
Public notice #1438. Published in the Sublette Examiner on Dec. 25, 2008.


PUBLIC NOTICE
Pursuant to the Wyoming Weed and Pest Control Act of 1973 (W.S. 11-5-101 through 11-5-303), notice is hereby given to solicit nominations for appointment to the Sublette County Weed and Pest Control District. A District Board Member must be a qualified elector (registered voter) of the board member area he/she is to represent, but is not required to be a landowner. Appointments will be made at the regular meeting of the Board of County Commissioners on Tuesday, January 6, 2009, at 10:30 a.m. in accordance with W.S. 11-5-104. Prior to appointment, the nominee for Director shall submit a petition signed by at least ten (10) landowners, to the Office of the County Clerk, by 5 p.m., Friday, January 2, 2009. Appointments will be made to the following districts: Big Piney, Boulder, and At-Large.
BOARD OF COUNTY COMMISSIONERS
SUBLETTE COUNTY, WYOMING
/s/ Betty Fear, Chairman
Public notice #1439. Published in the Sublette Examiner on Dec. 18 and 25, 2008.

See The Archives for past articles.


Copyright © 2002-2008 Sublette Examiner
All rights reserved. Reproduction by any means must have permission of the Publisher.
Sublette Examiner, PO Box 1539, Pinedale, WY 82941   Phone 307-367-3203
examiner@wyoming.com