From the pages of
Sublette Examiner
Volume 8, Number 39 - December 18, 2008
brought to you online by Pinedale Online

Public Notices


NOTICE OF PUBLIC HEARING
State of Wyoming
County of Sublette
Town of Pinedale
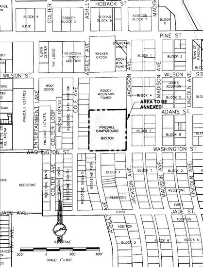
A public hearing will be held on January 26, 2008 at 5:30 p.m. at the Pinedale Town Hall in accordance with Wyoming Statutes, 2007, as amended, Section 15-1-405(a). This notice includes a copy of the Proposed Annexation Report required by Section 15-1-402 (c) as follows:
PROPOSED ANNEXATION REPORT
PINEDALE CAMPGROUND
ANNEXATION TO THE TOWN OF PINEDALE
In accordance with the Statute, the following is reported:
(i) A map of the area proposed to be annexed is attached.
(ii) The total estimated cost of infrastructure improvements required of the landowner by the Town of Pinedale related to this annexation.
Water NONE
Sewer NONE
Streets NONE
(iii) A list of basic and other services customarily available to residents of the Town and a timetable when those services will reasonably be available to the area proposed to be annexed.
Sewer, water, and streets are currently provided to the property. The completion of Washington Street between Jackson Ave and Cole Ave will be the responsibility of the Town of Pinedale. Fire and police protection is immediately available. Utilities such as electrical power, natural gas, and telephone are available.
(iv) A projected annual fee or service cost for services described in paragraph (iii) of this subsection.
Proposed use to remain RV Park as exists:
Water Hook-up fee - $150 / unit
Sewer Hook-up fee - $150 / unit
Annual Fee - $432.36 / unit (Water & Sewer)
Annual Fee - $15,132.60 (35 units Water & Sewer)
(v) The current and projected property tax mill levies imposed by the Town of Pinedale.
Mill levy 8 (statutory maximum)
(vi) The cost of infrastructure improvements required within the existing boundaries of the Town of Pinedale to accommodate the proposed annexation.
Water 50 feet ± of water line at $75/ft. $3,750
Sewer 150 feet ± of sewer line at $70/ft. $10,500
These improvements shall be made by the property owners to Town specifications at no cost to the Town.
In addition, it is the request of the property owners:
(a) That the land be zoned Commercial (C-1)
(b) That the governing body designates Rocky Mountain Power to serve the annexed area pursuant to W.S. 15-1-410 and to authorize the designated utility to service the entire annexed area.
Patty Racich, Town Clerk
Public notice #1431. Published in the Sublette Examiner on Dec. 18, 2008.


NOTICE OF ACCEPTANCE AND FINAL SETTLEMENT
MARBLETON STREETS PHASE II
RECONSTRUCTION
TOWN OF MARBLETON WYOMING
NOTICE IS HEREBY PUBLISHED that the Town of Marbleton has accepted as completed all work on the Marbleton Streets-Phase II Reconstruction Project according to the plans, specifications and rules set forth between the Town of Marbleton and HK Contractors of Idaho Falls, Idaho and the Contractor is entitled to settlement thereof.
Final payment will be made after the completion of publication of this Notice. The date of first publication is November 20, 2008 and the date of final settlement is December 31, 2008
Any claim or claims for work or labor due, or for materials or supplies furnished, must be accordingly filed with the Town of Marbleton prior to the above published date of final settlement.
Public notice #1417. Published in the Sublette Examiner on Dec. 4, 11 and 18, 2008.


NOTICE OF ACCEPTANCE AND FINAL SETTLEMENT
QUEALY AVENUE AND DODGE STREET WATERLINE AND STREET RECONSTRUCTION
TOWN OF BIG PINEY
NOTICE IS HEREBY PUBLISHED that the Town of Big Piney has accepted as completed all work on the Quealy Avenue and Dodge Street Waterline and Street Reconstruction Project according to the plans, specifications and rules set forth between the Town of Big Piney and R.S. Bennett of Big Piney, Wyoming and the Contractor is entitled to settlement thereof.
Final payment will be made after the completion of publication of this Notice. The date of first publication is November 20, 2008 and the date of final settlement is December 31, 2008
Any claim or claims for work or labor due, or for materials or supplies furnished, must be accordingly filed with the Town of Big Piney prior to the above published date of final settlement.
Public notice #1418. Published in the Sublette Examiner on Dec. 11, 18 and 25, 2008.


Notice to the
General Public
Sublette County Wyoming seeks proposals from individuals, firms, or teams of professionals experienced and interested in providing on-site supervision of current and future construction projects. Successful proposers shall act as the County’s representative on a number of projects in various stages of development. Interested parties may obtain a request for proposal from:
Mary Lankford
P. O. Box 952
21 South Tyler Avenue
Pinedale, Wyoming 82941
maryl@sublettewyo.com
(307) 367-6396 (fax)
The deadline for receipt of applicants’ proposals is January 13, 2009.
Applicants may be required to submit to an interview with Sublette County officials.
Sublette County reserves the right to grant or deny consideration to any and all applicants.
Sublette County Government Facilities
Public notice #1426. Published in the Sublette Examiner on Dec. 11, 18, 2008.


IN THE DISTRICT COURT OF SUBLETTE COUNTY, WYOMING
NINTH JUDICIAL DISTRICT
IN THE MATTER OF THE CHANGE
OF NAME OF ALISE DANAE STERCK
Civil No. 2008-7305
A Minor Child.
NOTICE is hereby given that on the 2nd day of December 2008, a verified Petition For Change of Name was filed in the above Court to change the name of Alise Danae Sterck to Elise Baca Barbara Danae Sterck.
All interested persons must file any answer or objection thereto on or before January 2, 2009, or the Petition may be granted without further notice.
DATED, this 2__ day of Dec. __2008.
Marilyn Jensen
Clerk of the District Court
Public notice #1428. Published in the Sublette Examiner on Dec. 11, 18, 25, 2008 and Jan. 1, 2009.


IN THE DISTRICT COURT IN AND FOR SUBLETTE COUNTY, WY
NINTH JUDICIAL DISTRICT
IN THE MATTER OF THE ESTATE OF
PROBATE NO. 2008-2026
OF
MICHEAL ANTHONY LAMBERT
DECEASED
NOTICE OF APPLICATION FOR DECREE ESTABLISHING RIGHT AND TITLE TO REAL PROPERTY
TO ALL PERSONS INTERESTED IN SAID ESTATE:
You are hereby notified that on the 2nd day of December, 2008, JOSE A LAMBERT, filed an Application For Decree Establishing Right and Title to Real Property requesting that the Court enter a Decree setting over the following real property from MICHAEL ANTHONY LAMBERT to JOSE A. LAMBERT; to-wit:
Trappers Point, Lot 6, 23 Hawken Lane, Pinedale, Sublette County, Wyoming,
As the same appears on the official map or plat thereof as filed for record in the Office of the County Clerk and Ex-Officio Register of Deeds for Sublette County, Wyoming:
TOGETHER WITH all improvements and appurtenances thereunto appertaining;
In said Application JOSE A. LAMBERT alleges that:
JOSE A. LAMBERT is the brother of the Decedent;
Thirty (30) days have elapsed since the death of the Decedent;
The entire estate of the Decedent wherever located, both real and personal, less liens and encumbrances, does not exceed $150,000.00;
No application for appointment of a personal representative for the estate of the decedent is now pending or has been granted in any jurisdiction;
That the Decedent owned certain real property in Sublette County, to-wit:
Trappers Point, Lot 6, 23 Hawken Lane, Pinedale, Sublette County, Wyoming, as the same appears on the official map or plat thereof as filed for record in the office of the County Clerk and Ex-Officio Register of Deeds for Sublette County, Wyoming:
TOGETHER WITH all improvements and appurtenances thereunto appertaining;
The value of this property, less liens and encumbrances, does not exceed $150,000.00.
JOSE A. LAMBERT is entitled to have said real property set over to him due to the following:
That MICHAEL ANTHONY LAMBERT did not leave a Will:
That LUCY BELEN LAMBERT, the Decedent’s mother, and JOSE A. LAMBERT, the Decedent’s brother, are the only heirs of MICHAEL ANTHONY LAMBERT;
LUCY BELEN LAMBERT has quitclaimed her interest in the subject real property JOSE A. LAMBERT; and,
There are no other distributes of the Decedent having any right to succeed to said real property.
Anyone having an objection to said Application should file them with the Clerk of District Court, Sublette County, Wyoming prior to December 29, 2008.
DATED this ___2____ day of December 2008.
MARILYN N. JENSEN
Clerk of District Court
Public notice #1429. Published in the Sublette Examiner on Dec. 11, 18, 2008.


PUBLIC NOTICES
STATE OF WYOMING
COUNTY OF SUBLETTE
ss.
TOWN OF PINEDALE)The Town Council of the Town of Pinedale met in regular session Monday, November 24, 2008, at 5:30 p.m., in the Town Hall. Those present: Tom Noble, representing Noble Estates; Jason Zakotnik, representing Worthington, Lenhart and Carpenter; Jim Parker, Airport Manager; Chris Thomas; April Gibson; Mike Grove, representing Rocky Mountain Home Center; Julie Early, Animal Control Officer; Penny Orr; Aaron Seehafer and Dennis Fornstrom, representing Rio Verde Engineering; Mary Ann Menster, representing Split Diamond Meadows; Pat Bozner, representing the Corral Bar; Ken and Arlinda McLaughlin; Robin Clover, representing the Sublette County Sexual Assault and Family Violence Task Force; Randy Hubbard, representing the Public Works Department; Ruth Neely, Municipal Judge; Mary Hogarty, Mayor’s Assistant; Tamra Watts, representing the Wind River Brewing Company; Millie Pape, representing the Museum of the Mountain Man; Eugene Ninnie, Town Engineer; Ed Wood, Town Attorney; Jim and Mary Crosson; Jennifer Gibson; Stephen Crane, representing the Pinedale Roundup; and Tiffany Turner, representing the Sublette Examiner.
Mayor Smith brought the meeting to order. Present on roll call: Councilman David Smith, Councilwoman Nylla Kunard, Mayor Stephen Smith, Councilman David Hohl not present and Councilman Chris House.
Motion by Council to approve the minutes of the November 24th meeting as written. Motion seconded. Motion carried unanimously.
Sublette County Sheriff’s Office not present.
Jennifer Gocke, Municipal Code Officer excused.
Ruth Neely, Municipal Judge, reported the monthly activities of the municipal court.
Julie Early, Animal Control Officer, reported the monthly activities of the animal control department.
Randy Hubbard, representing the Public Works Department, reported the monthly activities of the public works department. After discussion motion by Councilwoman Kunard to accept the bid for the SCADA System from WETCO in the amount not to exceed $170,750.00. Motion seconded. Motion carried unanimously. Motion by Councilman Smith to approve moving forward with Rocky Mountain Power to set poles for the SCADA System not to exceed $8,100.00. Motion seconded. Motion carried unanimously. Motion by Councilman Smith to approve $65,242.80 to LaPointe Ford for the 2 new Ford Pickups. Motion seconded. Motion carried unanimously.
Jim Parker, Airport Manager, presented the October Treasurer’s Report, the draft minutes of the November Airport Board Meeting and reported the monthly activities of the airport. Motion by Councilman Smith to approve a 5 year Hangar Lot Ground Lease Agreement, effective December 1, 2008, between the Pinedale Airport Board and White Mountain Air, LLC for Hangar Lot 28. Motion seconded. Motion carried unanimously.
Mary Hogarty, Mayor’s Assistant, reported her monthly activities. Hogarty discussed the town providing scholarships for Pinedale High School Seniors. The Town Council was supportive of the idea. Hogarty discussed junior council members, having one or two positions. Council was agreeable to the idea.
Eugene Ninnie, Town Engineer, reported the monthly activities of the engineering department.
The Public Hearing for the transfer of the restaurant liquor license and microbrewery permit from Bottoms Up Brewery and Grill, Inc. to Wind River Brewing Company was opened for discussion. No comments were received. Motion by Councilman Smith to approve the transfer of the restaurant liquor license and microbrewery permit to Wind River Brewing Company. Motion seconded. Motion carried unanimously.
Motion by Councilman Smith to approve the Applications for 24 Hour Catering/Malt Beverage Permits for the Corral Bar as presented: Moose Creek’s Open House December 5th and Teppco’s Christmas Party December 13th. Motion seconded. Motion carried unanimously.
Jason Zakotnik, representing Worthington, Lenhart and Carpenter, presented Norm Dona’s plat for preliminary approval of the Vacation and Replat of Lot 11, Lot Enlargement Amended Arrowhead Subdivision as the Dona Minor Subdivision, which lies within one mile of the town limits. After discussion motion by Councilman House to approve the Vacation and Replat of Lot ll, Enlargement Amended Arrowhead Subdivision as the Dona Minor Subdivision. Motion seconded. Councilman House aye, Councilwoman Kunard aye and Councilman Smith nay. Motion carried.
Robin Clover, representing the Sublette County Sexual Assault and Family Violence Task Force, discussed the water connection and service for the new office space and single family residence to be operated as a “safe facility.” No action taken.
Motion by Councilman Smith to approve the Application for 24 Hour Catering/Malt Beverage Permit to the Museum of the Mountain Man on December 5th at Rendezvous Pointe. Motion seconded. Motion carried unanimously.
Mike Grove, representing Rocky Mountain Home Center, discussed his concerns with the parking requirements at his commercial building at 1552 Highway 191. Grove requested he not be required to delineated the 40 parking spaces he is required to have but asked to curb stop the 13 spaces next to the building and leave the remainder of the lot open. After lengthy discussion Council was agreeable.
Tom Noble, representing the Noble Estates, discussed the proposed parking lot on Lot 4, South Entertainment Lane for Shell employees. Noble stated he was unaware that a gravel lot required a permit, adding he did not want to put in curb stops through the property or be required to submit a site plan designed by any engineer for the proposed lot. Eugene Ninnie, Town Engineer, discussed his concerns with the safety aspects on the lot. After lengthy discussion Ninnie and Noble agreed to work together without a professional engineer site plan and focus on the safety concerns.
Arlinda McLaughlin, a concerned resident of the Jones Addition, discussed her concerns with the construction of the sewer rehabilitation project dealing with the swales, the safety for those getting in and out of cars in the area, emergency response to the properties, traffic, drainage and the increased possibility of pipes freezing due to inadequate soil cover of the services. Ken McLaughlin, a concerned resident of the Jones Addition, discussed his concerns with the sewer rehabilitation project and questioned with the use of swales and who would be responsible for the liability. Chris Thomas, a South Stanley resident, discussed her concerns with the safety issues, the possibility of pipes freezing and liability for the home owners. Eugene Ninnie, the Town Engineer, stated a workshop is being planned to allow residents to have input on the changes in their neighborhoods. Jason Zakotnik, representing Worthington, Lenhart and Carpenter, stated as an engineer with the firm that designed the project he understood the concerns but did not believe there would be an issue with pipes freezing. Ruth Neely, a concerned resident, presented the ordinance on through traffic on minor streets and street widths. After lengthy discussion motion by Councilman Smith to back backfill, compact and grade the swales and address funding in the future. Motion seconded. Motion carried unanimously. 
Motion by Councilwoman Kunard for the Town of Pinedale to adopt the Identify Theft Prevention Program. Motion seconded. Motion carried unanimously.
Motion by Councilwoman Kunard to allow the employees of the Town of Pinedale to have December 26th and January 2nd as holidays. Motion seconded. Motion carried unanimously.
Mary Ann Menster, representing Split Diamond Development Inc., presented a voucher in the amount of $88,000.00 for Slit Diamond Meadows Subdivision’s request for cost of improvements participation in common areas dedicated to the Town of Pinedale. After discussion motion by Councilwoman Kunard to split the amount and not to exceed $44,000.00 Motion seconded. Councilwoman Kunard voted aye, Councilman House voted aye and Councilman Smith abstained. Motion carried.
The following bills were presented for payment:
A to Z Hardware 3501.92; Acroterra Corporation 164.45; American Water Works Assn 1605.50;Blizzard HVAC 328.41; Caselle, Inc. 7850.00; CenturyTel 2226.67; Communication Concepts 139.95; Country Lane Groceries & Gas 1441.78; Desert Diamond Industries, LLC 190.00; Electrical Systems Consultants 3250.99; Energy Laboratories 1536.50; FIA Card Services 104.48; L.N. Curtis 407.54; Lab Safety Supply 197.15; Office Outlet 698.06; Parkway Plaza Hotel 567.10; Pinedale Rental 48.32; Pinedale Roundup 64.00; PPS Co., Inc. 423.30; Ridley’s Family Market 886.22; Rio Verde Engineering 596.00; Rocky Mountain Power 151.65; Rocky Mountain Wash 29.00; Safety Supply & sign Co., Inc. 28.37; Secretary of State/Notary Division 30.00; Sublette Examiner 2254.50; Top Self Arctic Cat 6.47; Travis Bingham 540.00; Union Telephone Company 753.34; VISA 330.75; WAM 70.00; Waterworks, Inc. 2881.84; Wyoming Analytical 70.00; wyoming.com, LLC 3092.93; Arrowhead Builders 23,465.00; LaPoint Ford 65,242.80; Split Diamond Development 44,000.00; Phylis Stevens 850.00. 
Motion by Councilman Smith to pay the bills as presented with the additions of Arrowhead Builder $23,465.00, LaPoint Ford $65,242.80 and Split Diamond Development $44,000.00. Motion seconded. Motion carried unanimously.
Motion by Councilman Smith to approve Ordinance 442, an ordinance of the Town of Pinedale, Wyoming creating Chapter 17.19 of the Pinedale Municipal Code relating to the requirement of site plans, on the first reading. Motion seconded. Motion carried unanimously.
Motion by Councilman House to adjourned. Motion seconded. Motion carried unanimously.
ATTEST:
STEVE SMITH
MAYOR
PATTY RACICH
TOWN CLERK/TREASURER
Public notice #1432. Published in the Sublette Examiner on Dec. 18, 2008.


LEGAL NOTICE
UPPER GREEN RIVER JOINT
POWERS WATER BOARD
Will meet in regular monthly session on Wednesday, January 7, 2009 At The
Lincoln County Courthouse Jury Room Kemmerer, Wyoming 1 PM
Public notice #1433. Published in the Sublette Examiner on Dec. 18, 2008.


INVITATION TO BID
Town of Big Piney, Wyoming
PO Box 70
401 Budd Avenue
Big Piney, WY 83113
Separate sealed BIDS for the construction of the Big Piney Maintenance Building will be received by the Town of Big Piney, Wyoming at the office of the Town Clerk until 3:00 p.m. local time Tuesday, January 6, 2009 .
The CONTRACT DOCUMENTS may be examined at the following locations:
Forsgren Associates, Inc.
Big Piney Town Hall
849 Front Street, Suite 201
401 Budd Avenue
Evanston, WY 82930
Pinedale, WY 83113
(307) 789-6735
(307) 367-4372
The Project consists of the following work: Construction of a 80 foot by 40 foot steel maintenance building including interior framing and finish work, electrical, mechanical, plumbing, sitework, and other related incidentals.
Copies of the CONTRACT DOCUMENTS may be obtained at the office of FORSGREN ASSOCIATES, INC.
Preference will be given to resident Wyoming Contractors in the amount of five percent (5%) of the low bid in accordance with Wyoming Statute 16-6-101, et. seq.
The Town of Big Piney reserves the right to reject any or all bids or any part of any bid, to waive any formality in any bid, as its best interest may appear.
Public notice #1434. Published in the ­Sublette Examiner on Dec. 18, 2008.

See The Archives for past articles.


Copyright © 2002-2008 Sublette Examiner
All rights reserved. Reproduction by any means must have permission of the Publisher.
Sublette Examiner, PO Box 1539, Pinedale, WY 82941   Phone 307-367-3203
examiner@wyoming.com