From the pages of
Sublette Examiner
Volume 8, Number 14 - June 26, 2008
brought to you online by Pinedale Online

Public Notices


Notice of Public Hearing
State of Wyoming
County of Sublette
Town of Marbleton
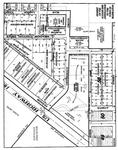
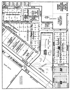
A public hearing will be held on 14 July 2008 at 7 p.m. at the Town Hall of the Town of Marbleton in accordance with Wyoming Statutes, 2007, as amended, Section 15-1-405 (a). This notice includes a copy of the 'Proposed Annexation Report' required by section 15-1-402 (c) as follows:
Proposed Annexation Report
Alsade 2008 Annexation to the Town of Marbleton
In accordance with said Statute, the following may be reported:
(i) A map of the area proposed to be annexed is attached..
(ii) The total estimated cost of infrastructure improvements required of all landowners by the annexing municipality related to the Annexation.
Sewer line 850 ft. ± x $20.00 = $17,000
(iii) A list of basic and other services customarily available to the residents of the Town and a timetable when these services will reasonably be available to the area proposed to be annexed.
Water, streets and police extant are immediately available.
(iv) A projected annual fee or service cost per hook-up for services described in paragraph (iii) of this subsection.
R-2 Zoning
I Zoning
Water Hook-up fee $1500
Variable depending upon use
Annual fee $253.80
Sewer Hook-up fee $1500
Variable depending upon use
Annual fee $66
(v) The current and projected property tax mill levies imposed by the municipality.
(vi) The cost of infrastructure improvements required within the existing boundaries of the municipality to accommodate the proposed annexation.
None.
Anita Bartosh, Town Clerk
Public notice #1305. Published in the Sublette Examiner on June 26 and July 3, 2008.


PUBLIC NOTICE
Notice is hereby given that on the 29thÊ of May, 2008, Jeff Goltz dba Rock Rabbit Inc.Ê filed an application for a restaurant retail liquor license in the Office of the Clerk of the Town of Pinedale, Pinedale, Wyoming, for the following description: 23 West Pine Street, Pinedale, Wyoming, and protests, if any there be, against the license, will be heardÊ Monday, June 23, 2008 at the Town Hall, 210 West Pine Street, Pinedale, Wyoming.
Public notice #1261. Published in the Sublette Examiner on June 5, 12, 19 and 26, 2008.


NOTICE OF APPLICATION FOR TRANSFER OF A RETAIL LIQUOR LICENSE
Notice is hereby given that on the 30th day of May, 2008, Green River Guest Ranch (The Place) LLC, filed an application for the transfer of a retail liquor license, in the Office of the County Clerk, for the following location at 2000 Hwy 352 in Sublette County, and protests, if any there be, against the issuance of the license will be heard at the hour of 10:00 a.m., on the 1st day of July, 2008, in the Commissioners Meeting Room of the Sublette County Courthouse, Pinedale, Wyoming.
Dated this 30th day of May, 2008.
/s/ Mary L. Lankford,
Sublette County Clerk
Public notice #1263. Published in the Sublette Examiner on June 5, 12, 19 and 26, 2008.


NOTICE TO CONTRACTORS
Notice is hereby given that Pinedale Airport Board (hereafter referred to as the ÒSponsorÓ or ÒOwnerÓ), will receive sealed bids for the Ralph Wenz Field NAVAIDS Project, State Project No. PNA-14X at Ralph Wenz Field.
The project involves:
Relocated Automated Weather Observing System (AWOS)
New Segmented Circle and New Lighted Wind Cone
Relocated Non-Directional Beacon (NDB)
New Tiltover Beacon Tower
Access Road and Fencing
The bids must be prepared on forms supplied by the Owner and filed with the Pinedale Airport Board, Town Hall, 210 W. Pine Street, Pinedale, WY 82941 with the envelope clearly marked with the name of the bid no later than 2:00 p.m. on Thursday, July 10, 2008. Hand delivered bids will be accepted ONLY on the date of the bid opening. The bids will be publicly opened and read aloud in the presence of the bidders and their representatives at that time and date.
The Bidder (proposer) must supply all the information required by the bid or proposal forms and specifications.
No bids will be received after the specified hour and date. Bids that are not prepared and filed in accordance with proposal requirements and conditions of the specifications, may be rejected.
All bids must be accompanied either by a certified check, payable to Pinedale Airport Board in the amount of five percent (5%) of the bid, or by a Bid Bond in a like amount and executed by an approved surety company. The check or bond will be retained by the Owner as liquidated damages if the successful bidder refuses or fails to enter into contract and performance bond in accord with his bid within fifteen (15) days after date of notification of award.
The Wyoming Prevailing Wage Act of 1967 [¤ 27-4-401 et seq] is applicable to this project, as well as all other applicable wage statutes and shall be complied with by the Contractor.
After June 11, 2008, the proposed construction contract, together with detailed drawings and specifications for the construction of the work are available for inspection at Pinedale Town Hall. The same may be obtained from the Engineer, GDA Engineers, 1508 Stampede Avenue, P. O. Box 338, Cody, Wyoming 82414, (307) 587-3411, for a non-refundable reproduction charge of $100.00, or by registering with GDA Engineers as a bidder and downloading the documents from www.gdaengineers.com.
Bids may not be withdrawn after the time fixed for opening them. The Owner reserves the right to waive irregularities in the bids and reject any and all bids.
In accordance with the provisions of Section 16-6-102 and 16-6-103, Volume 3, Title 9 of the Wyoming Compiled Statutes, 1977, and Chapter XI Ð Rules of practice and procedure before the commissioner of labor concerning certification of resident contractors on Public Works Construction Projects filed May 15, 1990, with the Wyoming Secretary of State, preference will be given to Resident Wyoming Contractors in the manner outlined therein. A five percent preference shall be given to Wyoming resident contractors in accordance with the provisions of Wyoming Statutes #16-6-101 et seq.
Preference is hereby given to materials, supplies, agricultural products, equipment, machinery and provisions produced, manufactured, or grown in Wyoming, or supplied by a resident of the state, quality being equal to articles offered by the competitors outside of the state. A successful resident bidder shall not subcontract more than thirty percent (30%) of the work covered by his contract to non-resident contractors.
The Bidder is advised that construction site aviation safety is of paramount importance. There is a Construction Operations Plan that is part of the project requirements and the Contractor will need to conduct his/her operations in strict compliance with this plan. There are penalty provisions outlined in the Construction Operations Plan for noncompliance by the ContractorÕs personnel. All costs associated with the ContractorÕs compliance with this operational plan will be considered incidental to and included in the prices bid for the actual work items of the bid schedule.
All bidders are advised to examine the site to become familiar with all site conditions. The project will be shown to interested Bidders at 2:00 p.m., Thursday, June 24, 2008 local time, at the office of the Airport Manager located upstairs in the FBO building at Ralph Wenz Field.
BY ORDER OF PINEDALE AIRPORT BOARD.
S/
Jim McLellan
Public notice #1289. Published in the Sublette Examiner on June 19 and 26, 2008.


INVITATION FOR BIDS
MONTE VISTA ROAD PROJECT
for
SUBLETTE COUNTY CLASS II ROADS
Sealed BIDS are requested for work described in the Project Manual for the Monte Vista Road Project for Sublette County, Wyoming dated June 3, 2008, prepared by Rio Verde Engineering, 201 West Pine Street, P.O. Box 642, Pinedale, Wyoming 82941.
Bids will be received by Rio Verde Engineering until 10:00 AM local time on June 27, 2008 at which time said BIDS will be publicly opened and read aloud.
The work consists of 1500 CY pit run, 500 CY excavation, 1100 tons of crushed base and signage for 0.5 miles of Monte Vista Road.
Copies of the Project Manual and the Design Drawings specifying the work to be performed may be obtained from Rio Verde Engineering.
BIDDERS shall be required to accompany each bid with a BID Bond with sufficient surety, or a certified check, cashierÕs check or bank draft upon some reputable bank payable to Sublette County for at least ten (10) percent of the total amount of the BID. The bond, check or bank draft shall be forfeited as liquidated damages, if the BIDDER, upon the letting of the contract to him, fails to enter into the contract within ten (10) days after it is presented to him for that purpose or fails to proceed with the performance of the contract. The Bid Bond, draft or check shall be retained by Sublette County until proper bond to secure performance of the contract has been filed and approved. All the above is to be in accordance with 15-1-113, Wyoming Statutes, 2005.
The right is reserved by Sublette County to reject any and all BIDS, and to waive any irregularity or informality in the bidding. BIDS may not be withdrawn for thirty days after the date of opening.
SUBLETTE COUNTY, WYOMING
Dated this 6th day of June, 2008.
Public notice #1294. Published in the Sublette Examiner on June 12, 19 and 26, 2008.


Invitation for Bids
First North, Second North and First West Road Projects
For Sublette County Class II Roads
Sealed BIDS are requested for work described in the Project Manual for the First North, Second North and First West Road Projects for Sublette County, Wyoming dated June 17, 2008, prepared by Rio Verde Engineering, 201 West Pine Street PO Box 642, Pinedale, Wyoming 82941.
Bids will be received by Rio Verde Engineering until 10:00 a.m. local time on June 27, 2008 at which time said BIDS will be publicly opened and read aloud.
The work consists of furnishing 8000 CY pit run for shoulder widening and 6800 TN crushed base for surfacing on approximately two miles of road with mag chloride and miscellaneous culverts and signage.
Copies of the Project Manual and the Design Drawings specifying the work to be performed may be obtained from Rio Verde Engineering.
BIDDERS shall be required to accompany each bid with a BID Bond with sufficient surety, or a certified check, cashierÕs check or a bank draft upon some reputable bank payable to Sublette County for at least ten (10) percent of the total amount of the BID. The bond, check or bank draft shall be forfeited as liquidated damages, if the BIDDER, upon the letting of the contract to him, fails to enter into the contract within ten (10) days after it is presented to him for that purpose or fails to proceed with the performance of the contract. The Bid Bond, draft or check shall be retained by Sublette County until proper bond to secure performance of the contract has been filed and approved. All the above is to be in accordance with 15-1-113, Wyoming Statutes, 2005.
The right is reserved by Sublette County to reject any and all BIDS, and to waive any irregularity or informality in the bidding. BIDS may not be withdrawn for 30 days after the date of opening.
Public notice #1302. Published in the Sublette Examiner on June 19 and 26, 2008.


IN THE DISTRICT COURT IN AND FOR SUBLETTE COUNTY, WYOMING
NINTH JUDICIAL DISTRICT
ESTATE OF GENE M. FIELD,
Civil Action No. 2008-7203
Plaintiff,
vs.
ELIZABETH W. RAWSON, deceased,
JONATHAN E. RAWSON, )
and heirs,
Defendants.
LEGAL NOTICE
TO: ELIZABETH W. RAWSON and heirs
Address unknown
JONATHAN E. RAWSON and heirs
Address unknown
TAKE NOTICE that the Estate of Gene M. Field has filed a Complaint in the District Court in and for Sublette County, Wyoming, Ninth Judicial District, to quiet title to a 5.0% overriding mineral interest in certain property located in Sublette County, Wyoming and more particularly described as follows:
Township 31 North, Range 109 West
Section 15: Lot 7 and Lot 8;
Section 11: Lot 1, 5, 6, 7, 8, 9, and 10;
Section 12: Lot 5 and 9;
TOGETHER with all the bed of the Newfork River between the mean high water mark and the medial lines thereof in front of and appurtenant to Lot 1 of Section 11 and Lots 8, 9, and 10 of Section 12;
Containing 197.60 acres, more or less.
Naming each and every one of you as defendants, alleging that you claim estates, rights, titles, liens and interests therein which are adverse to those of the plaintiff, and that plaintiff is seeking to have its title to said property interest forever quieted and a judicial determination that none of you have any estates, rights, titles, liens or interests therein.
FURTHER, you are notified that you are required to answer plaintiffÕs Complaint on or before August 11, 2008 by filing same with the Clerk of this Court; otherwise, said Complaint shall be taken as true and judgment shall be rendered against you accordingly.
Clerk of District Court
Public notice #1303. Published in the Sublette Examiner on June 19, 26 and July 3 and 10 2008.


NOTICE OF FINAL PAYMENT TO CONTRACTOR
Notice is hereby given that the Board of County Commissioners of Sublette County, Wyoming has accepted work as completed according to the plans, specifications and rules set forth in the contract between Sublette County and Chambers Design-Build, Inc, 167 S. Cole Ave., P.O. Box 1360, Pinedale, Wyoming, for the Kendall Valley Fire Hall in Cora Wyoming, and that Chambers Design-Build Inc. is entitled to final settlement therefore. On the 26th day of July 2008, being the 30th day after the first publication of the Notice, Sublette County will pay the above mentioned Contractor, the full amount due under said Contract.
Dated this the 26th day of June, 2008
Board of County Commissioners
Sublette County, Wyoming
Public notice #1304. Published in the Sublette Examiner on June 26, 2008.


DEPARTMENT OF INSURANCE
STATE OF WYOMING
Life and Health Company
COMPANY NAME: Unified Life Insurance Company
NAIC NUMBER: 11121 FEIN: 43-1917728
COMPLETE HOME ADDRESS: 7201 W. 129TH St., #300, Overland Park, KS 66213
COMPLETE MAILING ADDRESS: PO Box 25323, Overland Park, KS 66225-5326
WYOMING BUSINESS FOR YEAR ENDING DECEMBER 31, 2007
POLICY AMOUNT ISSUED DURING YEAR $0
DIRECT PREMIUM AND ANNUITY $766,625
DIRECT BENEFITS & LOSSES PAID $407,994
DIRECT BENEFITS & LOSSES INCURRED $366,525
TOTAL ADMITTED ASSETS $95,288,418
LIABILITIES $82,896,753
CAPITAL STOCK PAID UP $2,500,000
SURPLUS $9,891,665
INCOME $29,388,709
EXPENDITURES $27,737,047
PURSAUNT TO SECTION 26-3-126 OF THE WYOMING INSURANCE CODE, I CERTIFY THAT TO THE BEST OF MY KNOWLEDGE AND BELIEF, THE ABOVE-NAMED INSURER IS, IN ALL RESPECTS, IN COMPLIANCE WITH THE LAWS OF THIS STATE RELATING TO INSURANCE AND IS DULY AUTHORIZED TO TRANSACT THE BUSINESS OF INSURANCE IN THE STATE OF WYOMING.
Dated this first day of March 2008
Kenneth G. Vines
Insurance Commissioner
State of Wyoming
Public notice #1265. Published in the Sublette Examiner on June 5, 12, 19, 26, and July 3 and 10, 2008.


DEPARTMENT OF INSURANCE
STATE OF WYOMING
Life and Health Company
COMPANY NAME: UNICARE Life and Health Company
NAIC NUMBER: 80314 FEIN: 52-0913817
COMPLETE HOME ADDRESS: 120 Monument Circle, Indianapolis, IN 46204
COMPLETE MAILING ADDRESS: 233 S. Wacker Dr., Ste 300, Chicago, IL 60606
WYOMING BUSINESS FOR YEAR ENDING DECEMBER 31, 2007
POLICY AMOUNT ISSUED DURING YEAR $0
DIRECT PREMIUM AND ANNUITY
CONSIDERATIONS RECEIVED $1,294,591
DIRECT BENEFITS & LOSSES PAID $919,945
DIRECT BENEFITS & LOSSES INCURRED $911,029
TOTAL ADMITTED ASSETS $1,725,804,981
LIABILITIES $1,380,869,631
CAPITAL STOCK PAID UP $3,000,000
SURPLUS $341,935,350
INCOME $2,633,645,448
EXPENDITURES $2,522,049,341
PURSUANT TO SECTION 26-3-126 OF THE WYOMING INSURANCE CODE, I CERTIFY THAT TO THE BEST OF MY KNOWLEDGE AND BELIEF, THE ABOVE-NAMED INSURER IS, IN ALL RESPECTS, IN COMPLIANCE WITH THE LAWS OF THIS STATE RELATING TO INSURANCE AND IS DULY AUTHORIZED TO TRANSACT THE BUSINESS OF INSURANCE IN THE STATE OF WYOMING.
Dated this first day of March 2008
Kenneth G. Vines
Insurance Commissioner
State of Wyoming
Public notice #1266. Published in the Sublette Examiner on June 5, 12, 19, 26, and July 3 and 10, 2008.


DEPARTMENT OF INSURANCE
STATE OF WYOMING
Property and Casualty Company
COMPANY NAME: Underwriter for the Professions Insurance Company
NAIC NUMBER: 41050 FEIN: 95-4234708
COMPLETE HOME ADDRESS: 185 Greenwood Road, Napa, CA 94558
COMPLETE MAILING ADDRESS: 185 Greenwood Road, Napa, CA 94558
WYOMING BUSINESS FOR YEAR ENDING DECEMBER 31, 2007
DIRECT PREMIUM WRITTEN $0
DIRECT LOSSES PAID $0
DIRECT LOSSES INCURRED $0
TOTAL ADMITTED ASSETS $273,978,691.00
LIABILITIES $185,418,839.00
CAPITAL STOCK $7,500,000.00
SURPLUS AS REGARDS POLICYHOLDERS $88,559,852.00
INCOME $-4,967,741.00
EXPENDITURES $431,129.00
PURSUANT TO SECTION 26-3-126 OF THE WYOMING INSURANCE CODE, I CERTIFY THAT TO THE BEST OF MY KNOWLEDGE AND BELIEF, THE ABOVE-NAMED INSURER IS, IN ALL RESPECTS, IN COMPLIANCE WITH THE LAWS OF THIS STATE RELATING TO INSURANCE AND IS DULY AUTHORIZED TO TRANSACT THE BUSINESS OF INSURANCE IN THE STATE OF WYOMING.
Dated this first day of March 2008.
Kenneth G. Vines
Insurance Commissioner
State of Wyoming
Public notice #1267. Published in the Sublette Examiner on June 5, 12, 19, 26, and July 3 and 10, 2008.


­DEPARTMENT OF INSURANCE
STATE OF WYOMING
Life and Health Company
COMPANY NAME: ULLICO LIFE INSURANCE COMPANY
NAIC NUMBER: 86371 FEIN: 31-0522223
COMPLETE HOME ADDRESS: 20770 HWY 281 NORTH, SUITE 108-418, SAN ANTONIO, TX 78258
COMPLETE MAILING ADDRESS: 1625 “EYE” STREET, N.W., WASHINGTON, D.C. 20006
WYOMING BUSINESS FOR YEAR ENDING DECEMBER 31, 2007
POLICY AMOUNT ISSUED DURING YEAR $0
DIRECT PREMIUM AND ANNUITY CONSIDERATIONS RECEIVED $720
DIRECT BENEFITS & LOSSES PAID $0
DIRECT BENEFITS & LOSSES INCURRED $0
TOTAL ADMITTED ASSETS $14,292,854
LIABILITIES $3,336,853
CAPITAL STOCK PAID UP $5.682,300
SURPLUS $5,243,701
INCOME $1,780,719
EXPENDITURES $982,513
PURSUANT TO SECTION 26-3-126 OF THE WYOMING INSURANCE CODE, I CERTIFY THAT TO THE BEST OF MY KNOWLEDGE AND BELIEF, THE ABOVE-NAMED INSURER IS IN ALL RESPECTS, IN COMPLIANCE WITH THE LAWS OF THIS STATE RELATING TO INSURANCE AND IS DULY AUTHORIZED TO TRANSACT THE BUSINESS OF INSURANCE IN THE STATE OF WYOMING.
Dated this first day of March 2008
Kenneth G. Vines
Insurance Commissioner
State of Wyoming
Public notice #1268. Published in the Sublette Examiner on June 5, 12, 19, 26, and July 3 and 10, 2008.


DEPARTMENT OF INSURANCE
STATE OF WYOMING
Life and Health Company
COMPANY NAME: Unimerica Insurance Company
NAIC NUMBER: 91529 FEIN: 52-1996029
COMPLETE HOME ADDRESS: 6300 Olson Memorial Hwy, Golden Valley, MN 55427
COMPLETE MAILING ADDRESS: 6300 Olson Memorial Hwy, Golden Valley, MN 55427
WYOMING BUSINESS FOR YEAR ENDING DECEMBER 31, 2007
POLICY AMOUNT ISSUED DURING YEAR $0
DIRECT PREMIUM AND ANNUITY $386,820
CONSIDERATIONS RECEIVED
DIRECT BENEFITS & LOSSES PAID $2,110
DIRECT BENEFITS & LOSSES INCURRED $2,347
TOTAL ADMITTED ASSETS $150,182,102
LIABILITIES $90,098,142
CAPITAL STOCK $2,600,000
SURPLUS $57,483,960
INCOME $151,924,885
EXPENDITURES $146,599,245
PURSUANT TO SECTION 26-3-126 OF THE WYOMING INSURANCE CODE, I CERTIFY THAT TO THE BEST OF MY KNOWLEDGE AND BELIEF, THE ABOVE-NAMED INSURER IS, IN ALL RESPECTS IN COMPLIANCE WITH THE LAWS OF THIS STATE RELATING TO INSURANCE AND IS DULY AUTHORIZED TO TRANSACT THE BUSINESS OF INSURANCE IN THE STATE OF WYOMING.
Dated this first day of March 2008.
Kenneth G. Vines
Insurance Commission
State of Wyoming
Public notice #1269. Published in the Sublette Examiner on June 5, 12, 19, 26, and July 3 and 10, 2008.


DEPARTMENT OF INSURANCE
STATE OF WYOMING
Property and Casualty Company
COMPANY NAME: ULLICO Casualty Company
NAIC Number: 37893 FEIN: 13-2988846
COMPLETE HOME ADDRESS: 1625 Eye Street NW, Washington, DC 20006
COMPLETE MAILING ADDRESS: 1625 Eye Street NW, Washington, DC 20006
WYOMING BUSINESS FOR YEAR ENDING DECEMBER 31, 2007
DIRECT PREMIUM WRITTEN $0
DIRECT LOSSES PAID $0
DIRECT LOSSES INCURRED $0
TOTAL ADMITTED ASSETS $150,631,761
LIABILITIES $92,035,130
CAPITAL STOCK $5,000,000
SURPLUS AS REGARDS POLICYHOLDERS $58,596,632
INCOME $40,454,706
EXPENDITURES $36,517,195
PURSUANT TO SECTION 26-3-126 OF THE WYOMING INSURANCE CODE, I CERTIFY THAT TO THE BEST OF MY KNOWLEDGE AND BELIEF, THE ABOVE-NAMED INSURER IS, IN ALL RESPECTS, IN COMPLIANCE WITH THE LAWS OF THIS STATE RELATING TO INSURANCE AND IS DULY AUTHORIZED TO TRANSACT THE BUSINESS OF INSURANCE IN THE STATE OF WYOMING.
Dated this first day of March 2008.
Kenneth G. Vines
Insurance Commissioner
State of Wyoming
Public notice #1270. Published in the Sublette Examiner on June 5, 12, 19, 26, and July 3 and 10, 2008.


DEPARTMENT OF INSURANCE
STATE OF WYOMING
Life and Health Company
COMPANY NAME: UBS Life Insurance Company USA
NAIC NUMBER: 67423 FEIN: 22-3219879
COMPLETE HOME ADDRESS: 555 California St., Ste. 3200, San Francisco, CA 94104
COMPLETE MAILING ADDRESS: PO Box 200, Accord, MA 02018
WYOMING BUSINESS FOR YEAR ENDED DECEMBER 31, 2007
POLICY AMOUNT ISSUED DURING YEAR $0
DIRECT PREMIUM AND ANNUITY $0
CONSIDERATION RECEIVED
DIRECT BENEFITS & LOSSES PAID $0
DIRECT BENEFITS & LOSSES INCURRED $0
TOTAL ADMITTED ASSETS $42,517,580
LIABILITIES $6,203,778
CAPITAL STOCK PAID UP $2,500,000
SURPLUS $33,813,802
INCOME $179,672,714
EXPENDITURES $175,848,445
PURSUANT TO SECTION 26-3-126 OF THE WYOMING INSURANCE CODE, I CERTIFY THAT TO THE BEST OF MY KNOWLEDGE AND BELIEF, THE ABOVE-NAMED INSURER IS, IN ALL RESPECTS, IN COMPLIANCE WITH THE LAWS OF THIS STATE RELATING TO INSURANCE AND IS DULY AUTHORIZED TO TRANSACT THE BUSINESS OF INSURANCE IN THE STATE OF WYOMING.
Dated this first day of March 2008.
Kenneth G. Vines
Insurance Commissioner
State of Wyoming
Public notice #1271. Published in the Sublette Examiner on June 5, 12, 19, 26, and July 3 and 10, 2008.


DEPARTMENT OF INSURANCE
STATE OF WYOMING
Property and Casualty Company
COMPANY NAME: U.S. Specialty Insurance Co.
NAIC NUMBER: 29599 FEIN: 52-1504975
COMPLETE HOME ADDRESS: 13403 Northeast Freeway, Houston, TX 77040
COMPLETE MAILING ADDRESS: 13403 Northeast Freeway, Houston, TX 77040
WYOMING BUSINESS FOR YEAR ENDING DECEMBER 31, 2007
DIRECT PREMIUM WRITTEN $1,089,775
DIRECT LOSSES PAID $9.707
DIRECT LOSSES INCURRED $27,831
TOTAL ADMITTED ASSETS $945,514,546
LIABILITIES $688,450,823
CAPITAL STOCK $4,000,000
SURPLUS AS REGARDS POLICYHOLDERS $277,063,723
INCOME $367,754,545
EXPENDITURES $299,680,284
PURSUANT TO SECTION 26-3-126 OF THE WYOMING INSURANCE CODE, I CERTIFY THAT TO THE BEST OF MY KNOWLEDGE AND BELIEFT, THE ABOVE-NAMED INSURER IS, INALL RESPECTS, IN COMPLIANCE WITH THE LAWS OF THIS STATE RELATING TO INSURANCE AND IS DULY AUTHORIZED TO TRANSACT THE BUSINESS OF INSURANCE IN THE STATE OF WYOMING.
Dated this first day of March 2008.
Kenneth G. Vines
Insurance Commissioner
State of Wyoming
Public notice #1272. Published in the Sublette Examiner on June 5, 12, 19, 26, and July 3 and 10, 2008.


DEPARTMENT OF INSURANCE
STATE OF WYOMING
Life and Health Company
COMPANY NAME: U.S. Financial Life Insurance
NAIC NUMBER: 84530 FEIN: 38-2046096
COMPLETE HOME ADDRESS: 4000 Smith Road, Suite 300, Cincinnati, OH 45209
COMPLETE MAILING ADDRESS: 1290 Avenue of the Americas, New York, NY 10104
WYOMING BUSINESS FOR YEAR ENDING DECEMBER 31, 2007
POLICY AMOUNT ISSUED DURING YEAR $8,125,000
DIRECT PREMIUM AND ANNUITY $572,525
CONSIDERATIONS RECEIVED
DIRECT BENEFITS & LOSSES PAID $1,105
DIRECT BENEFITS & LOSSES INCURRED $20,000
TOTAL ADMITTED ASSETS $543,683,858
LIABILITIES $498,253,130
CAPITAL STOCK PAID UP $4,050,000
SURPLUS $41,380,728
EXPENDITURES $ 167,790,294
PURSUANT TO SECTION 26-3-126 OF THE WYOMING INSURANCE CODE, I CERTIFY THAT TO THE BEST OF MY KNOWLEDGE AND BELIEF, THE ABOVE-NAMED INSURER IS, IN ALL RESPECTS, IN COMPLIANCE WITH THE LAWS OF THIS STATE RELATING TO INSURANCE AND IS DULY AUTHORIZED TO TRANSACT THE BUSINESS OF INSURANCE IN THE STATE OF WYOMING.
Dated this first day of March 2008.
Kenneth G. Vines
Insurance Commissioner
State of Wyoming
Public notice #1273. Published in the Sublette Examiner on June 5, 12, 19, 26, and July 3 and 10, 2008.


DEPARTMENT OF INSURANCE
STATE OF WYOMING
Property and Casualty Company
COMPANY NAME: Amerin Guaranty Corporation
MAIC Number: 30872 FEIN: 23-1922977
COMPLETE HOME ADDRESS: 8001 Lincoln Avenue, Suite 701, Skokie, IL 60077
COMPLETE MAILING ADDRESS: 1601 Market Street, Philadelphia, PA 19103
WYOMING BUSINESS FOR YEAR ENDING DECEMBER 31, 2007
DIRECT PREMIUM WRITTEN $0
DIRECT LOSSES PAID $0
DIRECT LOSSES INCURRED $0
TOTAL ADMITTED ASSETS $223,527,401
LIABILITIES $234,898,982
CAPITAL STOCK $5,307,453
SURPLUS AS REGARDS POLICY HOLDERS $-11,371,581
INCOME $27,807,678
EXPENDITURES $245,644,856
PURSUANT TO SECTION 26-3-126 OF THE WYOMING INSURANCE CODE, I CERTIFY THAT TO THE BEST OF MY KNOWLEDGE AND BELIEF, THE ABOVE-NAMED INSURER IS, IN ALL RESPECTS, IN COMPLIANCE WITH THE LAWS OF THIS STATE RELATING TO INSURANCE AND IS DULY AUTHORIZED TO TRANSACT THE BUSINESS OF INSURANCE IN THE STATE OF WYOMING.
Dated this first day of March 2008.
Kenneth G. Vines
Insurance Commissioner
State of Wyoming
Public notice #1274. Published in the Sublette Examiner on June 5, 12, 19, 26, and July 3 and 10, 2008.


DEPARTMENT OF INSURANCE
STATE OF WYOMING
Life and Health Company
COMPANY NAME: Americo Financial Life and Annuity Insurance Company
NAIC NUMBER: 61999 FEIN: 35-0810610
COMPLETE HOME ADDRESS: PO Box 139061, Dallas, TX 75313-9061
COMPLETE MAILING ADDRESS: PO Box 410288, Kansas City, MO 64141-0288
WYOMING BUSINESS FOR YEAR ENDING DECEMBER 31, 2007
POLICY AMOUNT ISSUED DURING YEAR $11,000
DIRECT PREMIUM AND ANNUITY $89,980
CONSIDERATION RECEIVED
DIRECT BENEFITS & LOSSES PAID $74,370
DIRECT BENEFITS & LOSSES INCURRED $25,215
TOTAL ADMITTED ASSETS $3,735,648,072
LIABILITIES $3.510,199,651
CAPITAL STOCK PAID UP $2,638,308
SURPLUS $222,810,113
INCOME $546,217,145
EXPEDITURES $537,599,154
PURSUANT TO SECTION 26-3-126 OF THE WYOMING INSURANCE CODE, I CERTIFY THAT TO THE BEST OF MY KNOWLEDGE AND BELIEF, THE ABOVE-NAMED INSURER IS, IN ALL RESPECTS, IN COMPLIANCE WITH THE LAWS OF THIS STATE RELATING TO INSURANCE AND IS DULY AUTHORIZED TO TRANSACT THE BUSINESS OF INSURANCE IN THE STATE OF WYOMING.
Dated this first day of March.
Kenneth G. Vines
Insurance Commission
State of Wyoming
Public notice #1275. Published in the Sublette Examiner on June 5, 12, 19, 26, and July 3 and 10, 2008.


DEPARTMENT OF INSURANCE
STATE OF WYOMING
Life and Health Company
COMPANY NAME: American-Amicable Life Insurance Company of Texas
NAIC Number: 68594 FEIN: 74-2179909
COMPANY HOME ADDRESS: 425 Austin Avenue, Waco, TX 76701
COMPANY MAILING ADDRESS: PO Box 2549, Waco, TX 76702-2549
WYOMING BUSINESS FOR YEAR ENDING DECEMBER 31, 2007
POLICY AMOUNT ISSUED DURING YEAR $2,718,660. 00
DIRECT PREMIUM AND ANNUITY $167,235.00
CONSIDERATION RECEIVED
DIRECT BENEFITS & LOSSES PAID $10,637.00
DIRECT BENEFITS & LOSSES INCURRED $ 2,610.00
TOTAL ADMITTED ASSETS $335,744,094.00
LIABILITIES $278,272,776.00
CAPITAL STOCK PAID UP $3,158,420.00
SURPLUS $54,312,898.00
INCOME $56,627,757.00
EXPENDITURES $51,262,033.00
PURSUANT TO SECTION 26-3-126 OF THE WYOMING INSURANCE CODE, I CERTIFY THAT TO THE BEST OF MY KNOWLEDGE AND BELIEF, THE ABOVE-NAMED INSURER IS, IN ALL RESPECT, IN COMPLIANCE WITH THE LAWS OF THIS STATE RELATING TO INSURANCE AND IS DULY AUTHORIZED TO TRANSACT THE BUSINESS OF INSURANCE IN THE STATE OF WYOMING.
Dated this first day of March 2008.
Kenneth G. Vines
Insurance Commissioner
Public notice #1276. Published in the Sublette Examiner on June 5, 12, 19, 26, and July 3 and 10, 2008.


DEPARTMENT OF INSURANCE
STATE OF WYOMING
Property and Casualty Company
COMPANY NAME: American Zurich Insurance Company
NAIC NUMBER: 40142 FEIN: 36-3141762
COMPLETE HOME ADDRESS: 1400 American Lane, Schaumburg, IL 60196-1056
COMPLETE MAILING ADDRESS: 1400 American Lane, Schaumburg, IL 60196-1056
WYOMING BUSINESS FOR YEAR ENDING DECEMBER 31, 2007
DIRECT PREMIUM WRITTEN $380,723
DIRECT LOSSES PAID $640,376
DIRECT LOSSES INCURRED $(330,006)
TOTAL ADMITTED ASSETS $263,666,267
LIABILITIES $85,419,847
CAPITAL STOCK $5,000,000
SURPLUS AS REGARDS POLICYHOLDERS $178,246,420
INCOME $24,735,295
EXPENDITURES $4,762
PURSUANT TO SECTION 26-3-126 OF THE WYOMING INSURANCE CODE, I CERTIFY THAT TO THE BEST OF MY KNOWLEDGE AND BELIEF, THE ABOVE-NAMED INSURER IS, IN ALL RESPECTS, IN COMPLIANCE WITH THE LAWS OF THIS STATE RELATING TO INSURANCE AND IS DULY AUTHORIZED TO TRANSACT THE BUSINESS OF INSURANCE IN THE STATE OF WYOMING.
Dated this first day of March 2008.
Kenneth G. Vines
Insurance Commissioner
State of Wyoming
Public notice #1277. Published in the Sublette Examiner on June 5, 12, 19, 26, and July 3 and 10, 2008.


DEPARTMENT OF INSURANCE
STATE OF WYOMING
Life and Health Company
COMPANY NAME: American United Life Insurance Company
NAIC NUMBER: 60895 FEIN: 35-0145825
COMLETE HOME ADDRESS: PO Box 368, Indianapolis, IN 46206-0368
COMPLETE MAILING ADDRESS: PO Box 368, Indianapolis, IN 46206-0368
WYOMING BUSINESS FOR YEAR ENDING DECEMBER 31, 2007D
POLICY AMOUNT ISSUED DURING YEAR $0
DIRECT PREMIUM AND ANNUITY $1,287,567
CONSIDERATIONS RECEIVED
DIRECT BENEFITS & LOSSES PAID $420,587
DIRECT BENEFITS & LOSSES INCURRED $72,381
TOTAL ADMITTED ASSETS $14,032,817,875
LIABILITIES $13,354,891,269
CAPITAL STOCK PAID UP $5,000,000
SURPLUS $672,926,606
INCOME $2,616,878,739
EXPENDITURES $2,559,818,140
PURSUANT TO SECTION 26-3-126 OF THE WYOMING INSURANCE CODE, I CERTIFY THAT TO THE BEST OF MY KNOWLEDGE AND BELIEF, THE ABOVE-NAMED INSURER IS, IN ALL RESPECTS, IN COMPLIANCE WITH THE LAWS OF THIS STATE RELATING TO INSURANCE AND IS DULY AUTHORIZED TO TRANSACT THE BUSINESS OF INSURANCE IN THE STATE OF WYOMING.
Dated this first day of March 2008.
Kenneth G. Vines
Insurance Commissioner
State of Wyoming
Public notice #1278. Published in the Sublette Examiner on June 5, 12, 19, 26, and July 3 and 10, 2008.


DEPARTMENT OF INSURANCE
STATE OF WYOMING
Life and Health Company
COMPANY NAME: American Underwriters Life Insurance Company
NAIC NUMBER: 92649 FEIN: 86-0340575
COMPANY HOME ADDRESS: 101 N. First Avenue, Suite 2460, Phoenix, AZ 85003
COMPANY MAILING ADDRESS: PO Box 9510 Wichita, KS 67277
WYOMING BUSINESS FOR YEAR ENDING DECEMBER 31, 2007
POLICY AMOUNT ISSUED DURINGYEAR $0
DIRECT PREMIUM AND ANNUITY $2,811
CONSIDERATIONS RECEIVED
DIRECT BENEFITS & LOSSES PAID $27,635
DIRECT BENEFITS & LOSSES INCURRED $508
TOTAL ADMITTED ASSETS $56,071,703
LIABILITIES $43,615,433
CAPITAL STOCK PAID UP $1,011,669
SURPLUS $11,444,604
INCOME $14,179,858
EXPENDITURES $10,729,495
PURSUANT TO SECTION 26-3-126 OF THE WYOMING INSURANCE CODE, I CERTIFY THAT TO THE BEST OF MY KNOWLEDGE AND BELIEF, THE ABOVE-NAMED INSURER IS, IN ALL RESPECTS, IN COMPLIANCE WITH THE LAWS OF THIS STATE RELATING TO INSURANCE AND IS DULY ATHORIZED TO TRANSACT THE BUSINESS OF INSURANCE IN THE STATE OF WYOMING.
Dated this first day of March 2008.
Kenneth G. Vines
Insurance Commissioner
State of Wyoming
Public notice #1279. Published in the Sublette Examiner on June 5, 12, 19, 26, and July 3 and 10, 2008.


DEPARTMENT OF INSURANCE
STATE OF WYOMING
Property and Casualty Company
COMPANY NAME: Amerisure Mutual Insurance Company
NAIC NUMBER: 23396 FEIN: 38-0829210
COMPLETE HOME ADDRESS: 26777 Halsted Rd, Farmington Hills, MI 48331-3586
COMPLETE MAILING ADDRESS: PO Box 2060, Farmington Hills, MI 48333-2060
WYOMING BUSINESS FOR YEAR ENDING DECEMBER 31, 2007
DIRECT PREMIUM WRITTEN $8,121
DIRECT LOSSES PAID $0
DIRECT LOSSES INCURRED $1.594
TOTAL ADMITTED ASSETS $1,719,367,364
LIABILITIES $1,124,606,894
CAPITAL STOCK $0
SURPLUS AS REGARDS POLICYHOLDERS $594,760,470
INCOME $469,399,380
EXPENDITURES $421,335,269
PURSUANT TO SECTION 26-3-126 OF THE WYOMING INSURANCE CODE, I CERTIFY THAT TO THE BEST OF MY KNOWLEDGE AND BELIEF, THE ABOVE-NAMED INSURER IS, IN ALL RESPECTS, IN COMPLIANCE WITH THE LAWS OF THIS STATE RELATING TO INSURANCE AND IS DULY AUTHORIZED TO TRANSACT THE BUSINESS OF INSURANCE IN THE STATE OF WYOMING.
Dated this first day of March 2008.
Kenneth G. Vines
Insurance Commissioner
State of Wyoming
Public notice #1280. Published in the Sublette Examiner on June 5, 12, 19, 26, and July 3 and 10, 2008.


DEPARTMENT OF INSURANCE
STATE OF WYOMING
Life and Health Company
COMPANY NAME: Ameritas Life Insurance Corporation
NAIC NUMBER: 61301 FEIN: 47-0098400
COMPLETE HOME ADDRESS: 5900 “O” Street, Lincoln, NE 68510-2234
COMPLETE MAILING ADDRESS: PO Box 81889, Lincoln, NE 68501-1889
WYOMING BUSINESS FOR YEAR ENDING DECEMBER 31, 2007
POLICY AMOUNT ISSUED DURING YEAR $1,590,179
DIRECT PREMIUM AND ANNUITY $1,223,836
CONSIDERATIONS RECEIVED
DIRECT BENEFITS & LOSSES PAID $1,028,321
DIRECT BENEFITS & LOSSES INCURRED $328,018
TOTAL ADMITTED ASSETS $6,392,306,514
LIABILITIES $5,514,186,108
CAPITAL STOCK $2,500,000
SURPLUS $875,620,405
INCOME $1,268,715,499
EXPENDITURES $1,191,050,317
PURSUANT TO SECTION 26-3-126 OF THE WYOMING INSURANCE CODE, I CERTIFY THAT TO THE BEST OF MY KNOWLEDGE AND BELIEF, THE ABOVE-NAMED INSURER IS, IN ALL RESPECTS, IN COMPLIANCE WITH THE LAWS OF THIS STATE RELATING TO INSURANCE AND IS DULY AUTHORIZED TO TRANSACT THE BUSINESS OF INSURANCE IN THE STATE OF WYOMING.
Dated this first day of March 2008.
Kenneth G. Vines
Insurance Commissioner
State of Wyoming.
Public notice #1281. Published in the Sublette Examiner on June 5, 12, 19, 26, and July 3 and 10, 2008.


DEPARTMENT OF INSURANCE
STATE OF WYOMING
Property and Casualty Company
COMPANY NAME: AMEX Assurance Company
NAIC NUMBER: 27928 FEIN: 36-2760101
COMPLETE HOME ADDRESS: 10 S. Wacker Drive, Ste 3375, Chicago, IL 60606
COMPLETE MAILING ADDRESS: PO Box 19020, Green Bay, WI 54307-9020
WYOMING BUSINESS FOR YEAR ENDING DECEMBER 31, 2007
DIRECT PREMIUM WRITTEN $378,477
DIRECT LOSSES PAID $60,219
DIRECT LOSSES INCURRED $58,951
TOTAL ADMITTED ASSETS $232,390,855
LIABILITIES $86,722,095
CAPITAL STOCK $4,597,875
SURPLUS AS REGARDS POLICYHOLDERS $145,668,760
INCOME $74,773,012
EXPENDITURES $47,726,949
PURSUANT TO SECTION 26-3-126 OF THE WYOMING INSURANCE CODE, I CERTIFY THAT TO THE BEST OF MY KNOWLEDGE AND BELIEF, THE AOBVE-NAMED INSURER IS, INALL RESPECTS, IN COMPLIANCE WITH THE LAWS OF THIS STATE RELATING TO INSURANCE AND IS DULY AUTHORIZED TO TRANSACT THE BUSINESS OF INSURANCE IN THE STATE OF WYOMING.
Dated this first day of March 2009
Kenneth G. Vines
Insurance Commissioner
State of Wyoming
Public notice #1282. Published in the Sublette Examiner on June 5, 12, 19, 26, and July 3 and 10, 2008.


DEPARTMENT OF INSURANCE
STATE OF WYOMING
Life and Health Company
COMPANY NAME: Amica Life Insurance Company
NAIC NUMBER: 72222 FEIN: 05-0340166
COMPLETE HOME ADDRESS: 100 Amica Way, Lincoln, RI 02865-1156
COMPLETE MAILING ADDRESS: PO Box 6008, Providence, RI 02940-6008
WYOMING BUSINESS FOR YEAR ENDING DECEMBER 31, 2007
POLICY AMOUNT ISSED DURING YEAR $1,200,000
DIRECT PREMIUM AND ANNUITY $21,101
CONSIDERATIONS RECEIVED
DIRECT BENEFITS & LOSSES PAID $795
DIRECT BENEFITS & LOSSES INCURRED $0
TOTAL ADMITTED ASSETS $923,146,400
LIABILITIES $764,505,100
CAPITAL STOCK PAID UP $5,000,000
SURPLUS $153,641,300
INCOME $108,793,968
EXPENDITURES $98,742,735
PURSUANT TO SECTION 26-3-126 OF THE WYOMING INSURANCE CODE, I CERTIFY THAT TO THE BEST OF MY KNOWLEDGE AND BELIEF, THE ABOVE-NAME INSURER IS, IN ALL RESPECTS, IN COMPLIANCE WITH THE LAWS OF THIS STATE RELATING TO INSURANCE AND IS DULY AUTHORIZED TO TRANSACT THE BUSINESS OF INSURANCE IN THE STATE OF WYOMING.
Dated this first day of March 2008.
Kenneth G. Vines
Insurance Commissioner
State of Wyoming
Public notice #1283. Published in the Sublette Examiner on June 5, 12, 19, 26, and July 3 and 10, 2008.


DEPARTMENT OF INSURANCE
STATE OF WYOMING
Property and Casualty Company
COMPANY NAME: Amica Mutual Insurance Company
NAIC NUMBER: 19976 FEIN: 05-0348344
COMPLETE HOME ADDRESS:100 Amica Way, Lincoln, RI 02865-1156
COMPLETE MAILING ADDRESS: PO Box 6008, Providence, RI 02940-6008
WYOMING BUSINESS FOR YEAR ENDING DECEMBER 31, 2007
DIRECT PREMIUM WRITTEN $448,823
DIRECT LOSSES PAID $163,281
DIRECT LOSSES INCURRED $639,276
TOTAL ADMITTED ASSETS $4,077,548,748
LIABILITIES $1,787,672,695
CAPITAL STOCK $0
SURPLUS AS REGARDS POLICYHOLDERS $2,289,876,053
INCOME $1,458,608,827
EXPENDITURES $1,211,922,277
PURSUANT TO SECTION 26-3-126 OF THE WYOOMING INSURANCE CODE, I CERTIFY THAT TO THE BEST OF MY KNOWLEDGE AND BELIEF, THE ABOVE-NAMED INSURER IS, IN ALL RESPECTS, IN COMPLIANCE WITH THE LAWS OF THIS STATE RELATING TO INSURANCE AND IS DULY AUTHORIZED TO TRANSACT THE BUSINESS OF INSURANCE IN THE STATE OF WYOMING.
Dated this first day of March 2008.
Kenneth G. Vines
Insurance Commissioner
State of Wyoming
Public notice #1284. Published in the Sublette Examiner on June 5, 12, 19, 26, and July 3 and 10, 2008.


DEPARTMENT OF INSURANCE
STATE OF WYOMING
Life and Health Company
COMPANY NAME:Annuity & Life Reassurance America, Inc.
NAIC NUMBER: 62421 FEIN: 41-0880965
COMPLETE HOME ADDRESS: 124 Palisado Ave., Windsor, CT 06095-2028
COMPLETE MAILING ADDRESS: 124 Palisado Ave., Windsor, CT 06095-2028
WYOMING BUSINESS FOR YEAR ENDING DECEMBER 31, 2007
POLICY AMOUNT ISSUED DURING YEAR $0
DIRECT PREMIUM AND ANNUITY $23,864
CONSIDERATIONS RECEIVED
DIRECT BENEFITS & LOSSES PAID $15,500
DIRECT BENEFITS & LOSSES INCURRED $14,000
TOTAL ADMITTED ASSETS $11,886,360
LIABILITIES $164,163
CAPITAL STOCK PAID UP $2,500,004
SURPLUS $9,222,194
INCOME $536,825
EXPENDITURES $473,667
PURSUANT TO SECTION 26-3-126 OF THE WYOMING INSURANCE CODE, I CERTIFY THAT TO THE BEST OF MY KNOWLEDGE AND BELIEF, THE ABOVE-NAMED INSURER IS, IN ALL RESPECTS, IN COMPLIANCE WITH THE LAWS OF THIS STATE RELATING TO INSURANCE AND IS DULY AUTHORIZED TO TRANSACT THE BUSINESS OF INSURANCE IN THE STATE OF WYOMING.
Dated this first day of March 2008.
Kenneth G. Vines
Insurance Commissioner
State of Wyoming
Public notice #1285. Published in the Sublette Examiner on June 5, 12, 19, 26, and July 3 and 10, 2008.


DEPARTMENT OF INSURANCE
STATE OF WYOMING
Life and Health Company
COMPANY NAME: Annuity Investors Life Insurance Company
NAIC NUMBER: 93661 FEIN: 31-1021738
COMPLETE HOME ADDRESS: 580 Walnut Street, Cincinnati, OH 45202
COMPLETE MAILING ADDRESS: PO Box 5423, Cincinnati, OH 45201-5423
WYOMING BUSINESS FOR YEAR ENDING DECEMBER 31, 2007
POLICY AMOUNT ISSUED DURING YEAR $0.00
DIRECT PREMIUM AND ANNUITY $183,918.00
CONSIDERATIONS RECEIVED
DIRECT BENEFITS & LOSSES PAID $28,269.00
DIRECT BENEFITS & LOSSES INCURRED $0.00
TOTAL ADMITTED ASSETS $1,739,484,511.00
LIABILITIES $1,673,548,538.00
CAPITAL STOCK PAID UP $2,500,000.00
SURPLUS $63,435,974
INCOME $385,737,002.00
EXPENDITURES $386,938,660.00
PURSUANT TO SECTION 26-3-126 OF THE WYOMING INSURANCE CODE, I CERTIFY THAT TO THE BEST OF MY KNOWLEDGE AND BELIEF, THE ABOVE-NAMED INSURER IS, IN ALL RESPECTS, IN COMPLIANCE WITH THE LAWS OF THIS STATE RELATING TO INSURANCE AND IS DULY AUTHORIZED TO TRANSACT THE BUSINESS OF INSURANCE IN THE STATE OF WYOMING.
Dated this first day of March 2008.
Kenneth G. Vines
Insurance Commissioner
State of Wyoming
Public notice #1286. Published in the Sublette Examiner on June 5, 12, 19, 26, and July 3 and 10, 2008.


DEPARTMENT OF INSURANCE
STATE OF WYOMING
Property and Casualty Company
COMPANY NAME: Ansur American Insurance Company
NAIC NUMBER: 10984 FEIN: 38-3467437
COMPLETE HOME ADDRESS: One Mutual Avenue, Frankenmuth, MI 48787-0001
COMPLETE MAILING ADDRESS: One Mutual Ave.,, Frankenmuth, MI 58787-0001
WYOMING BUSINESS FOR YEAR ENDING DECEMBER 31, 2007
DIRECT PREMIUM WRITTEN $0
DIRECT LOSSES PAID $0
DIRECT LOSSES INCURRED $0
TOTAL ADMITTED ASSETS $55,761,821
LIABILITIES $25,599,627
CAPITAL STOCK $15,000,000
SURPLUS AS REGARDS POLICYHOLDERS $30,162,194
INCOME $5,702,334
EXPENDITURES $4,037,410
PURSUANT TO SECTION 26-3-126 OF THE WYOMING INSURANCE CODE, I CERTIFY THAT TO THE BEST OF MY KNOWLEDGE AND BELIEF, THE ABOVE-NAMED INSURER IS, IN ALL RESPECTS, INCOMPLIANCE WITH THE LAWS OF THIS STATE RELATING TO INSURANCE AND IS DULY AUTHORIZED TO TRANSACT THE BUSINESS OF INSURANCE IN THE STATE OF WYOMING.
Dated this first day of March 2008.
Kenneth G. Vines
Insurance Commissioner
State of Wyoming
Public notice #1287. Published in the Sublette Examiner on June 5, 12, 19, 26, and July 3 and 10, 2008.


DEPARTMENT OF INSURANCE
STATE OF WYOMING
Property and Casualty Company
COMPANY NAME: Ameriprise Insurance Company
NAIC NUMBER: 12504 FEIN: 65-1261374
COMPLETE HOME ADDRESS: 3500 Packerland Dr., De Pere, WI 54115
COMPLETE MAILING ADDRESS: 3500 Packerland Dr., De Pere, WI 54115
WYOMING BUSINESS FOR YEAR ENDING DECEMBER 31, 2007
DIRECT PREMIUM WRITTEN $0
DIRECT LOSSES PAID $0
DIRECT LOSSES INCURRED $0
TOTAL ADMITTED ASSETS $48,998,379
LIABILITIES $340,206
CAPTIAL STOCK $8,000,000
SURPLUS AS REGARDS POLICYHOLDERS $48,658,173
INCOME $2,137,791
EXPENDITURES $408,443
PURSUANT TO SECTION 26-3-126 OF THE WYOMING INSURANCE CODE, I CERTIFY THAT TO THE BEST OF MY KNOWLEDGE AND BELIEF, THE ABOVE-NAMED INSURER IS, IN ALL RESPECTS, IN COMOPLIANCE WITH THE LAWS OF THIS STATE RELATING TO INSURANCE AND IS DULY AUTHORIZED TO TRANSACT THE BUSINESS OF INSURANCE IN THE STATE OF WYOMING.
Dated this first day of March 2008.
Kenneth G. Vines
Insurance Commissioner
State of Wyoming
Public notice #1288. Published in the Sublette Examiner on June 5, 12, 19, 26, and July 3 and 10, 2008.

See The Archives for past articles.


Copyright © 2002-2008 Sublette Examiner
All rights reserved. Reproduction by any means must have permission of the Publisher.
Sublette Examiner, PO Box 1539, Pinedale, WY 82941   Phone 307-367-3203
examiner@wyoming.com