From the pages of
Sublette Examiner
Volume 7, Number 44 - January 24, 2008
brought to you online by Pinedale Online

Public Notices


Notice of Public Hearing
State of Wyoming
County of Sublette
Town of Marbleton
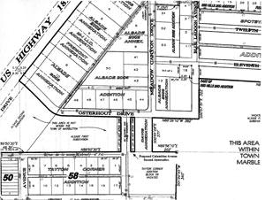
A public hearing will be held on 10 March 2008 at 7:00 p.m. at the Town Hall of the Town of Marbleton in accordance with Wyoming State Statutes, 2007, as amended, Section 15-1-405 (a). This notice includes a copy of the ÒProposed Annexation ReportÓ required by Section 15-1-402 (c) as follows:
Proposed annexation report
Columbine Avenue Second Annexation to the Town of Marbleton
In accordance with said Statute, the following may be reported:
(i) A map of the area proposed to be annexed is attached.
(ii) The total estimated cost of infrastructure improvements required of all landowners by the annexing municipality related to the Annexation.
None.
(iii) A list of basic and other services customarily available to residents of the Town and a timetable when these services will reasonably be available to the area proposed to be annexed.
Sewer, water, streets and police extant are immediately available.
(iv) A projected annual fee or service cost for services described in paragraph (iii) of this subsection.
None- Not buildable.
(v) The current and projected property tax mill levies imposed by the municipality.
Mill levy Ð 8 (statutory maximum)
(vi) The cost of infrastucture improvements required within the existing boundaries of the municipality to accommodate the proposed annexation.
None.
Anita Bartosh, Town Clerk
Certification
State of Wyoming
County of Sublette
Town of Marbleton
Comes now Anita Bartosh, who being duly sworn on oath according to the law does hereby make the following statement of facts and certify:
1. That she is duly appointed, acting, qualified and bonded Town Clerk of the Town of Marbleton.
2. That the petition for the Columbine Avenue Second Annexation to the Town of Marbleton was filed with the Town of MArbletong on 14 January 2008.
3. That Wyoming Statutes, 2007, as amended, Section 15-1-403 © (d) requires certification by the Town Clerk.
4. That the foregoing described petition complies with said Section.
Anita Bartosh, Town Clerk
Public notice #1147. Published in the Sublette Examiner on January 24 and 31, 2008.


Invitation to Bid
Separate sealed BIDS for the construction of the Quealy Avenue and Dodge Street Waterline and Street Reconstruction will be received by the Town of Big Piney, Wyoming at the office of the City Clerk until 3 p.m. local time Feb. 5, 2008 and then at said office publicly opened and read aloud.
The contract documents may be examined at the Big Piney Town Hall and at the Forsgren Associates, Inc; 849 Front Street, Suite 201; Evanston, WY 82930.
The project consists of the following work: The reconstruction and asphalt paving of approximately 12,000 SY of street re-construction along with replacement of associated valley gutters, there is also approximately 2,000 LF of waterline replacement along with associated lines, fire hydrants etc. sub grade preparation and other incidental work within the town limits of Big Piney, Wyoming.
Copies of the Contract Documents may be obtained at the office of Forsgren Associates, Inc at the location noted above, upon payment of $75.00 for each set, non-refundable.
Each BIDDER will be required to submit, with his proposal, a certified check, or Bid Bond made payable without condition to the Town of Marbleton in the amount of not less than five percent (5%) of the BIDDER’s maximum Bid Price as guarantee that such BIDDER will enter into a contract within fifteen (!%) days after the date of the OWNER’s Notice of Award.
Preference will be given to resident Wyoming Contractors in the amount of fiver percent (5%) of the low bi in accordance with Wyoming Statute 16-6-101, et.seq.
The Town of Marbleton reserves the right to reject any or all bids or any part of any bid, to waive formality in any bid, as its best interest may appear.
A pre-bid meeting will be held at 10:00 a.m. of the 24th day of January at 401 Budd Avenue, Big Piney Wyoming 83113. Bidders attendance is non-mandatory.
Public notice #1136. Published in the Sublette Examiner on January 10, 17 and 24, 2008.


NOTICE OF INTENT TO SUBDIVIDE
PUBLIC NOTICE
Andrew M. O’Neal will file an application for subdivision with the Sublette County Planning and Zoning Commission to create the O’Neal Subdivision within SE¼SW¼ of Section 2, T33N, R111W, Sublette County, Wyoming. Said land is located 0.8 mile south of Daniel on the east side of Highway 189, contains 20 acres and is zoned R-R10 and is presently accessed through Lot W of the O’Neal Lot Division.
Public notice #1139. Published in the Sublette Examiner on January 10, 17 and 24, 2008.


Public Notice
Notice is hereby given on the 9th of January, 2008, Ridley’s Food Corp. dba Ridley’s Family Markets, filed an application for transfer of retail liquor license in the Office of the Clerk of the Town of Pinedale, Pinedale, Wyoming for the following description: 341 East Pine Street, Pinedale, Wyoming, and protests, if any there be, against the transfer of the license, will be heard at the hour of 7:00 p.m., Monday February 25, 2008 at the Town Hall, 210 West Pine Street, Pinedale, Wyoming.
Public notice #1140. Published in the Sublette Examiner on January 17, 24, 31 and February 7, 2008.


NOTICE OF FINAL
PAYMENT TO CONTRACTOR
Notice is hereby given that Sublette County, Wyoming, has accepted work as completed according to the plans and specifications set forth in the Agreement between Sublette County and R. S. Bennett Construction Company, Inc., pursuant to the Project Manual for Sublette County Bicycle/Pedestrian North Pathway Extension, and that R. S. Bennett Construction Company, Inc. is entitled to final settlement therefore. On February 27, 2008, being the forty-first day after the first publication of this Notice, Sublette County will pay to R. S. Bennett Construction Company, Inc., all amounts and balance due under said Agreement.
Dated January 11, 2008.
Sublette County, Wyoming
P.O. Box 250
Pinedale, WY 82941
Public notice #1141. Published in the Sublette Examiner on January 17, 24 and 31, 2008.


Public Notice
STATE OF WYOMING
IN THE DISTRICT COURT
COUNTY OF LARAMIE
FIRST JUDICIAL DISTRICT
NORMAN STIEFVATER and
SHIRLEY FRANCES WILSON
Docket No. 164-436
STIEFVATER,
Judgment $375,147.91 Costs $605.00 Total Judgment $375,752.91 Post-Judgment Interest-6/12/06 to 1/11/08 $46,597.16
Less Payments Received $166,868,80 Additional per-diem Interest $66.91
Plaintiffs,
v.
DANIEL WILLIAM WILSON, JR.
Defendant.
NOTICE OF EXECUTION SALE
OF REAL PROPERTY
By virtue of a Writ of Execution dated the 21st day of July, 2006, directed and delivered to me as Sheriff of Sublette County, Wyoming, and issued out of the District Court of the First Judicial District of the State of Wyoming, in and for Laramie County, Wyoming, upon a Judgment filed in said Court in favor of Plaintiffs Norman and Shirley Stiefvater, and against Defendant Daniel William Wilson Jr. on the 12th day of June, 2006, in the amount of $375,752.91 less amounts received and plus interest accruing thereon at the rate of 10% per annum, I have heretofore levied the following real property:
Lots 6, 7 and 8 of the School Addition to the Town of Big Piney, Sublette County, Wyoming.
PUBLIC NOTICE is hereby given that, pursuant to the direction of said Writ of Execution, the above-described real estate will be sold, as is, for cash or certified check, at public auction by the Sheriff or Deputy Sheriff of Sublette County, Wyoming, at 746 Piney Drive, Big Piney, Sublette County, Wyoming at 10:00 A.M. on February 8, 2008, to satisfy the aforesaid amount, together with costs, fees and expenses of sale in accordance with applicable provisions of Wyoming law. Please also be advised that the property being foreclosed upon may be subject to other liens and encumbrances that will not be extinguished at the sale and any prospective purchaser should research the status of title before submitting a bid. Conveyance will be by Sheriff’s Deed in accordance with state law.
Dated this 21st day of January, 2008.
Wayne Bardin, Sheriff, Sublette County,
Wyoming, or his designee
Deputy Sheriff.
Public notice #1142. Published in the Sublette Examiner on January 17, 24, 31 and February 7, 2008.


Public Notice
IN THE DISTRICT COURT, NINTH JUDICIAL DISTRICT
COUNTY OF SUBLETTE, STATE OF WYOMING
IN THE MATTER OF THE ESTATE OF
Probate No. 2008-2033
JAMES H. GARRETT, DECEASED
NOTICE OF PETITION FOR A DECREE OF DISTRIBUTION
FOR TITLE OF REAL PROPERTY
Madelyn Garrett also known as Madelyn D. Garrett, Petitioner, hereby gives notice that she has filed in the District Court, Ninth Judicial District, Sublette County, Wyoming, a Petition requesting entry of an Order to set over distribution of title to Madelyn Garrett also known as Madelyn D. Garrett, all of the Decedent’s full right, title, and interest in all oil, gas, and other minerals in, under and upon the following described real property:
Township 27 North, Range 113 West of the 6th P.M., Section 28: E ½ NE ¼ and E ½ SE ¼, Section 33: NE ¼ NE ¼, Sublette County, Wyoming, subject to any and all valid easements, restrictions, and reservations of record.
Any persons objecting thereto must file a claim within thirty (30) days so objecting; otherwise after publication twice this matter will be brought on before the District Court for Hearing at a time as soon as possible soon thereafter to enter an Order setting over all right title and interest in all oil, gas, and other minerals in, under and upon the aforementioned described real property to Madelyn Garrett also known as Madelyn D. Garrett, as named in said Petition.
Dated 12/27/07
Madelyn Garrett also known as Madelyn D. Garrett, Petitioner
State of Utah
County of Salt Lake
The foregoing instrument was acknowledged before me by Madelyn Garrett also known as Madelyn D. Garrett, on this day 12-27-07.
WITNESS my hand and official seal.
Annette Cornia
Notary Public
Public notice #1145. Published in the Sublette Examiner on January 17 and 24, 2008.


PUBLIC NOTICE
MILEY MEMORIAL FIELD AIRPORT
2008 DBE PROGRAM
BIG PINEY, WYOMING
The Town of Big Piney, Wyoming has established a Disadvantaged Business Enterprise (DBE) program in accordance with regulations of the U.S. Department of Transportation, 49 CFR Part 26.
The Town has established an overall goal of 5.11% of the Federal financial assistance it will receive for improvements to the Miley Memorial Field Airport. The Town estimates it will meet this goal entirely through race-conscious measures.
The program and rationale used in developing the goal are available for review at: Big Piney Town Hall, 401 Budd Avenue, Big Piney, Wyoming 83113. The program and rationale will be available for review for 30 days following the date of this publication. The Town and FAA Civil Rights Office will take comments on the program and rationale for 45 days following the date of this publication. Comments should be sent to the Sponsor at the address listed above or to: FAA Civil Rights Office, 1601 Lind Avenue SW, Renton, WA 98055-4056.
Public notice #1146. Published in the Sublette Examiner on January 24, 2008.


PUBLIC NOTICE
BEFORE THE OIL AND GAS CONSERVATION COMMISSION OF THE STATE OF WYOMING
The following matters will come before this Commission on TUESDAY, FEBRUARY 12, 2008, at 9:00 A.M., or as soon thereafter as the matters may be heard, or between the hours of 8:00 A.M. and 5:00 P.M. on any of the subsequent days during which the Commission remains in session at the office of the State Oil and Gas Supervisor, 2211 King Boulevard, Casper, Wyoming.
Cause No. 1, Order No. 3, DOCKET NO. 476-2007, brought on the application of Whiting Oil and Gas Corporation for an order establishing approximate 160-acre drilling and spacing units for the Baxter and Frontier Formations underlying all of Sections 22, 23 and 27, Township 28 North, Range 112 West, 6th P.M. ; authorizing up to four (4) wells to be drilled to the Baxter and Frontier Formations within each of these approximate 160-acre drilling and spacing units; and allowing commingling of production from the Baxter and Frontier Formations as to wells drilled on these spacing units; all in Sublette County, Wyoming.
Cause No. 3, Order No. 1, DOCKET NO. 63-2008, brought on the application of Nielson & Associates, Inc., for an order authorizing additional wells so that there will be a density of thirty-two (32) wells in the 320 acres in the Lance Pool as defined in Docket 136-2003 for the E1/2 of Section 36, Township 32 North, Range 109 West, 6th P.M., Pinedale Field area, Sublette County, Wyoming.
Cause No. 3, Order No. 1, DOCKET NO. 64-2008, brought on the application of Nielson & Associates, Inc., for an order authorizing additional wells so that there will be a density of thirty-two (32) wells in the 320 acres in the Lance Pool as defined in Docket 136-2003 for the W1/2 of Section 36, Township 31 North, Range 109 West, 6th P.M., Pinedale Field area, Sublette County, Wyoming.
Cause No. 1, Order No. 1, DOCKET NO. 90-2008, brought on the application of EOG Resources, Inc., for an order establishing an approximate 640-acre drilling and spacing unit for the Madison Formation and authorizing one Madison Formation well in such drilling and spacing unit in Section 23, Township 29 North, Range 114 West, 6th P.M., Sublette County, Wyoming.
Any interested party is entitled to appear at the aforesaid time and place to be heard by the Commission. The applications may be inspected in the office of the undersigned, 2211 King Boulevard, Casper, Wyoming, or on the Oil & Gas Commission website at http://wogcc.state.wy.us. If there are any protests, please make such known to the State Oil and Gas Supervisor at least three (3) working days before the hearing by filing a written objection.
DATED this 17th day of January, 2008.
WYOMING OIL & GAS
CONSERVATION COMMISSION
/s/ Don J. Likwartz, Secretary
Public notice #1148. Published in the Sublette Examiner on January 24, 2008.


public notice
ORDINANCE NO. 2007-432
AN ORDINANCE ANNEXING ADJACENT AND CONTIGUOUS LAND (HARBER ANNEXATION) TO THE TOWN OF PINEDALE, WYOMING, AND ESTABLISHING ZONING THEREFORE.
WHEREAS, all the owners of the real estate described herein have signed and filed with the Town a petition requesting annexation and zoning of said real estate; and
WHEREAS, after notice and hearing as required by law, the Town Council has, by resolution duly adopted on 11/26/07, found and certified that the conditions required by W.S. Sections 15-1-402 and 15-1-403 exist, and that annexation of the real estate is authorized by law;
BE IT ORDAINED BY THE TOWN COUNCIL OF THE TOWN OF PINEDALE:
SECTION 1. The following described real estate located in Sublette County, Wyoming, is hereby added to, taken into, annexed to and made a part of the Town of Pinedale, Wyoming, to-wit:
The lands to be annexed to the Town of Pinedale, are located in the W/2, Section 32 and the NW/4NW/4, Section 33, T.34N., R.109W., of the 6TH P.M., Sublette County, Wyoming, and are part of the lands described in Warranty Deeds recorded in Book 44 WD., Page 413 and Book 48,WD, Page 139 which are recorded in the Office of the Clerk of Sublette County, Wyoming, and which are more particularly described as follows:
S/2NE/4, Section 32, T.34N., R.109W., excepting there from the Ehman Lane Easement being the west 80 feet; And
SE/4, Section 32, T.34N., R.109W., excepting there from the Ehman Lane Easement being the west 80 feet and the following parcel:
Beginning at a point which is the southeast corner of said Section 32; Thence from said point of beginning N.89°45’12”W., a distance of 2656.01 feet to the south quarter of said Section 32;
Thence N.00°47’28”W., a distance of 557.82 feet along the north-south midsection line of said Section 32; Thence S.89°44’25”E., a distance of 299.86 feet; Thence S.89°44’56”E., a distance of 1569.22 feet; Thence S.89°46’16”E., a distance of 549.62 feet; Thence S.89°45’14”E., a distance of 238.21 feet to a point on the east boundary line of said Section 32; Thence S.00°41’53”E., a distance of 557.79 feet to the point of beginning; And That parcel located in NE/4NE/4 of Section 32 and NW/4NW/4 of Section 33, T.34N., R.109W., described in the Deed filed in Book 48, WD, Page 139 and more particularly described as follows:
Beginning at a point which is the northeast sixteenth corner of said Section 32;
Thence from said point of beginning N.00°44’45”W., a distance of 495.11 feet to a non-tangent point on a curve to the left;
Thence along said curve to the left a distance of 34.46 feet to a point of tangency; said curve has a radius of 138.41 feet and a chord with a bearing of S.69°48’42”E. and a length of 34.37 feet;
Thence S.76°56’38”E., a distance of 148.21 feet to a point of tangency with a curve to the left;
Thence along said curve to the left a distance of 255.60 feet to a point of tangency; said curve has a radius of 214.37 feet and a chord with a bearing of N.68°53’54”E. and a length of 240.73 feet;
Thence N.34°12’49”E., a distance of 16.88 feet;
Thence N.06°15’15”E., a distance of 301.47 feet;
Thence N.84°38’49”E., a distance of 880.09 feet;
Thence N.67°13’29”E., a distance of 282.11 feet;
Thence S.31°58’18”E., a distance of 33.07 feet;
Thence S.08°29’49”W., a distance of 856.03 feet;
Thence S.38°49’31”W., a distance of 212.06 feet;
Thence S.00°42’01”E., a distance of 6.91 feet to a point which is the north sixteenth corner common to said sections 32 and 33;
Thence N.89°45’54”W., a distance of 1331.23 feet to the point of beginning;
Said lands contain 230.94 acres more or less and are contiguous with the corporate limits of the Town of Pinedale, Sublette County, Wyoming.
The above legal descriptions were created from surveys on the ground and from records on file in the office of the Clerk of Sublette County, Wyoming.
SECTION 2. Upon the effective date of this ordinance, the corporate limits and boundary lines of the Town of Pinedale, Wyoming, shall be extended to include and embrace the property described in Section 1.
SECTION 3. The annexed property shall be zoned a mixture of C-1, C-2, R-2, R-4, MH and I-1 as set out in the Petition for Annexation and related zone map.
SECTION 4. The zoning map is hereby amended to reflect the zoning classification of the annexed property.
This Ordinance shall be in full force and effect from and after passage on three readings and publication according to law.
PASSED ON FIRST READING ON December 10, 2007.
PASSED ON SECOND READING ON January 14, 2007.
PASSED, APPROVED AND ADOPTED ON THIRD READING ON ________________________, 2007.
ATTEST: TOWN OF PINEDALE, WYOMING:
BY: Steve Smith MAYOR
Patty Racich
TOWN CLERK
ATTESTATION BY TOWN CLERK
STATE OF WYOMING
COUNTY OF SUBLETTE
ss.
TOWN OF PINEDALE
I hereby certify that the foregoing Ordinance No. 2007-432 was duly published in the Sublette Examiner, a newspaper of general circulation published in the Town of Pinedale, Wyoming, on the 24 day of January, 2007.
I further certify that the foregoing Ordinance was duly recorded on Page _______ of Book ______ of Ordinances of the Town of Pinedale, Wyoming.
Patty Racich
Town Clerk
Public notice #1149. Published in the Sublette Examiner on January 24, 2008.


public notice
STANDARD ADVERTISEMENT FOR BIDS
FOR Phase III Sewer and Water Rehabilitation Project PINEDALE, WYOMING
Notice is hereby given, pursuant to Wyoming Statute Section 15-1-113, that the Town of Pinedale, Wyoming, will receive sealed bids until 2:00 PM., Local Time, March 6, 2008, for the following:
Town of Pinedale Phase III Sewer and Water Rehabilitation Project
Description of Work: Replacement of existing sewer and water mains and services. Installation of asphalt pavement and concrete curb and gutters.
Bids must be in one sealed envelope with statement thereon “BID ENCLOSED Phase III Sewer and Water Rehabilitation Project “ and submitted to the Town Hall, 210 West Pine Street, PO Box 709, Pinedale, Wyoming, at or before the above stated time. Bids will be opened publicly, read aloud, and tabulated by the Town Engineer, or his or her Designee, at the above stated time and place, unless an alternative site is designated in writing which is posted at the Town Hall prior to the time of Bid Opening. No bid may be withdrawn for a period of thirty (30) days after the date set for opening thereof. The Town of Pinedale, Wyoming, reserves the right to reject any or all bids and to waive any informalities or technicalities in the bidding; provided, however, that any bid received after the time specified or without accompanying Bid Guaranty, as stated below, will not be considered.
Bidding Documents, including specifications, will be available on January 24, 2008 from the ENGINEER, WLC Engineering, Surveying, and Planning; 58 South Tyler; PO Box 1519; Pinedale, Wyoming (307) 367-6548. Bidders may obtain one set of plans for free. Partial sets are not available.
A Bid Guaranty in the form of a properly executed Bid Bond payable to the Town in the amount of not less than 5% of the total base bid amount must accompany each bid. (NOTE: If your bid is less than $100,000.00 you may submit a Cashier’s Check for not less than 5% of the total base bid amount.) The successful Bidder will be required to execute an Agreement with the Town, in the form supplied in the bidding documents, within thirty (30) days after Notice of Award is issued. The Notice of Award shall serve as notice that the Agreement is ready for execution. The Bid Guaranty shall be forfeited as liquidated damages if the Bidder fails to execute the Agreement within thirty (30) days after such Notice is issued, or fails to provide proper Bond or other form of Guaranty, as approved. The Bid Guaranty, if a Bid Bond, shall be executed by a surety or guarantee company authorized to do business in Wyoming. The Attorney in Fact who
executes the Bond on behalf of the surety shall affix a certified and current copy of its Power of Attorney from the surety. No other type of Bid ­­Guaranty will be accepted. The Town may proceed against a Bid Guaranty unless either: a) the Agreement has been executed by Contractor and Performance, and Labor and Material Payment Bonds have been furnished, as required; or, b) the specified time has elapsed so that Bids may be withdrawn; or, c) the Bid has been rejected.
Notice is hereby given that preference will be granted to Wyoming contractors, subcontractors, laborers, and materials, supplies, equipment, machinery, and provisions produced, manufactured, supplied, or grown in Wyoming, as required by W.S. Section 166101 et seq.
A PreBid Conference will be held at 2:00 PM.,
Local Time, Wednesday February 27, 2008 in the Pinedale Town Hall. A site tour will be held to review the Project following this conference.
Attendance in the Pre-Bid Conference is mandatory for Contractors who wish to be considered qualified and/or responsible.
Public notice #1150. Published in the Sublette Examiner on January 24, 31, February 7, 14, 21 and 28, 2008.


PUBLIC NOTICE

The regularly scheduled meeting of the Sublette County Board of Commissioners will be held on Tuesday, February 12, 2008 at 1:00 p.m. in the Sublette County Courthouse, Pinedale, Wyoming. At this time, a public hearing will be held to consider the following applications:

AGENDA

1. Pursuant to Article VIII, Section 1 of the Sublette County Zoning and Development Regulations, entitled Administration; planning staff proposes the following amendment to the text of the Sublette County Zoning and Development Regulations: An amendment to allow accessory residential unit(s) to serve as employee housing in the Commercial (C-1), Highway Commercial (CH-1) and Light Industrial (I-L) zoning districts. Accessory residential units shall serve as employee housing that is clearly incidental, subordinate and secondary to the primary commercial or industrial use of the property; with more than two accessory residential units requiring approval as a Conditional Use. Accessory residential units shall conform to all applicable development standards contained in this Resolution and no accessory residential unit may exceed eight hundred (800) square feet of habitable floor area. The current Zoning and Development Regulations do not allow accessory residential units in the C-1, CH-1 or I-L zoning districts.

2. Request for Change of Zoning District Boundary approval, pursuant to Chapter VIII, Section 2 of the Sublette County Zoning and Development Regulations, entitled Administration; by Bible Camping, Inc. The application proposes a change of zoning district boundary for a 20.57 acre parcel from Resource Conservation to Recreational Service District 1 (RS-1) in order to accommodate the existing and future uses of the Bible Camp. The Bible Camp is also requesting a Variance, pursuant to Chapter VI of the Sublette County Zoning and Development Regulations, entitled Variances by Bible Camping, Inc. The application proposes reduced setbacks for an existing accessory structure that does not meet the required setbacks for the RC zoning district. The Bible Camping property subject to the application for a change of zoning district boundary and variance is located in the north ½ of the southeast ¼ of Section 12, Township 38N, Range 110W; generally described as approximately 6.2 miles from Highway 352 along the Gypsum Creek Road, following Red Cliff Road to the end of Bible Camp Road.

/s/ William W. Cramer, Chairman

Public notice #1151. Published in the Sublette Examiner on January 24, 2008.

See The Archives for past articles.


Copyright © 2002-2008 Sublette Examiner
All rights reserved. Reproduction by any means must have permission of the Publisher.
Sublette Examiner, PO Box 1539, Pinedale, WY 82941   Phone 307-367-3203
examiner@wyoming.com