From the pages of
Sublette Examiner
Volume 7, Number 40 - December 27, 2007
brought to you online by Pinedale Online

Public Notices


NOTICE OF PUBLIC HEARING
Sate of Wyoming
County of Sublette
Town of Marbleton
A public hearing will be held on 14 January 2008 at 7:00 p.m. at the Town Hall of the Town of Marbleton in accordance with Wyoming Statutes 15-1-405 (a). This notice includes a copy of the ÒProposed Annexation ReportÓ required by Section 15-1-402 (c) as follows:
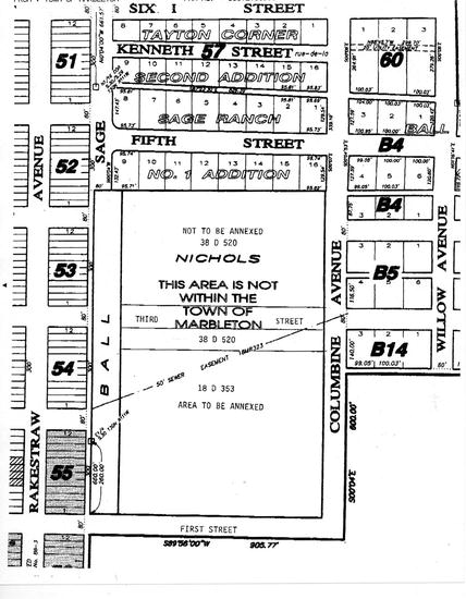
PROPOSED ANNEXATION REPORT
NICHOLS ANNEXATION TO THE TOWN OF MARBLETON
In accordance with said Statute, the following may be reported:
(i) A map of the area proposed to be annexed is attached.
(ii) The total estimated cost of infrastructure improvements required of all landowners by annexing municipality related to the Annexation.
Water 1800 feet +/- of water line at $20/ft. $36,000
Sewer None is extant outfall line is used. Otherwise 1000 feet +/- of sewer line at $20/ft. $20,000
Streets extant.
(iii) A list of basic and other services customarily available to residents of the Town and a timetable when these services will reasonably be available to the area proposed to be annexed.
(iv) A projected annual fee or service cost for services described in paragraph (iii) of this subsection.
Water Hookup fee $1,500
Annual fee $253.80
Sewer Hookup fee $1,500
Annual fee $66
(v) The current and projected property tax mill levies imposed by the municipality.
Mill levy 8 (statutory maximum)
(vi) The cost of infrastructure improvements required within the existing boundaries of municipality to accommodate the proposed annexation.
None.
Anita Bartosh, Town Clerk
Legal notice #1121. Published in the Sublette Examiner December 20 and 27, 2007.



NOTICE OF PUBLIC HEARING
State of Wyoming
County of Sublette
Town of Marbleton
A public hearing will be held on January 14, 2008 at 7:00 p.m. at the Marbleton Town Hall in accordance with Wyoming Statutes, 2007, as amended, Section 15-1-405(a). This notice includes a copy of the Proposed Annexation Report required by Section 15-1-402 (c) as follows:
PROPOSED ANNEXATION REPORT
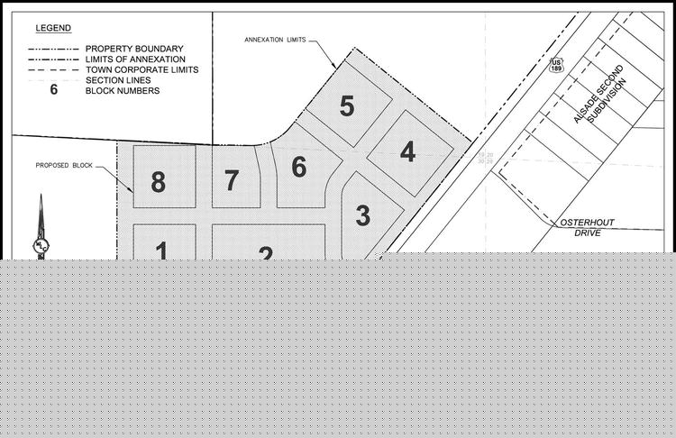
NORTHGATE ADDITION PHASE 1
ANNEXATION TO THE TOWN OF MARBLETON
In accordance with the Statute, the following is reported:
(i) A map of the area proposed to be annexed is attached.
(ii) The total estimated cost of infrastructure improvements required of all landowners by the Town of Marbleton related to this annexation.
Water 4,700 feet ± of water line at $50/ft. $235,000
Water 2,000 feet ± of water line at $65/ft. $130,000
Sewer 5,215 feet ± of sewer line at $50/ft. $260,750
Streets 6,200 feet ± of roadway at $177/ft. $1,097,400
(iii) A list of basic and other services customarily available to residents of the Town and a timetable when those services will reasonably be available to the area proposed to be annexed.
Sewer, water, and streets will be constructed to Town standards and be available upon the filing of the Northgate Phase I subdivision plat. Fire and police protection will be immediately available. Utilities such as electrical power, natural gas, and telephone will be available.
(iv) A projected annual fee or service cost for services described in paragraph (iii) of this subsection.
Water Hook-up fee - $1,500
Sewer Hook-up fee - $1,500
Annual Fee (C) - $5,591.04 Annual Fee (C) - $1,260.00
Annual Fee (I) - $1,597.44 Annual Fee (I) - $264.00
Annual Fee (R-2) - $3,045.6 Annual Fee (R-2) - $792.00
Total Annual fee - $10,234.08
Total Annual Fee - $2,316.00
(v) The current and projected property tax mill levies imposed by the Town of Marbleton.
Mill levy 8 (statutory maximum)
(vi) The cost of infrastructure improvements required within the existing boundaries of the Town of Marbleton to accommodate the proposed annexation.
Water 50 feet ± of water line at $65/ft. $3,250
Sewer 100 feet ± of sewer line at $50/ft. $5,000
In addition, it is the request of the property owners:
(a) That the land be zoned as follows.
Block 1 Industrial I
Block 2 Industrial I
Block 3 Commercial C
Block 4 Commercial C
Block 5 Commercial C
Block 6 Commercial C
Block 7 Part/Open Space P-O
Block 8 Residential R-2
(b) That the governing body designates Rocky Mountain Power to serve the annexed area pursuant to W.S. 15-1-410 and to authorize the designated utility to service the entire annexed area.
ATTEST:
Anita Bartosh, Town Clerk
Public notice #1124. Published in the Sublette Examiner December 20 and 27, 2007.



NOTICE OF PUBLIC HEARING
State of Wyoming
County of Sublette
Town of Big Piney
A public hearing will be held on 8 January 2008 at 7:00 PM at the Town Hall of Big Piney in accordance with Wyoming Statutes, 2007, as amended, Section 15-1-405 (a). This notice includes a copy of the ÒProposed Annexation ReportÓ required by Section 15-1-402 (c) as follows:
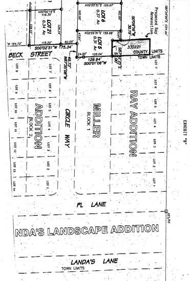
PROPOSED ANNEXATION REPORT
RAY ANNEXATION TO THE TOWN OF BIG PINEY
In accordance with said Statute, the following may be reported:
(i) A map of the area proposed to be annexed is attached.
(ii) The total estimated cost of infrastructure improvements required of all landowners by the annexing municipality related to the Annexation.
None.
(iii) A list of basic and other services customarily available to residents of the Town and timetable when these services will be reasonably be available to the area proposed to be annexed.
Sewer, water, streets and police extant are immediately available.
(iv) A projected annual fee or service cost for services described in paragraph (iii) of this subsection,
Water Hookup Fee - $750
Annual Fee - $216
Sewer Hookup Fee - $500
Annual Fee - $204
(v) The current and projected property tax mill levies imposed by the municipality.
Mill levy 8 (statutory maximum)
(vi) The cost of infrastructure improvements required within the existing boundaries of the municipality to accommodate the proposed annexation.
None.
Jacqueline S. Arthur, Town Clerk
Public notice #1131. Published in the Sublette Examiner December 13 and 27, 2007.


Public Notices
To be sold at Troy's
Motor Sports
A public sale of an abandoned vehicle on January 3, 2008 at 10 a.m. 1987 Chevy blazer, gray in color, VIN # 1GNEV18H1HF165493. $250.00 Minimum bid.
Public notice #1120. Published in the Sublette Examiner December 20 and 27, 2007.


Legal Notice
According to the provisions of Chapter 3, Section 26(b), Wyoming Education Code of 1969, the following warrants over $500, excluding individual salaries, were issued by the Sublette County School District No. 9 for the following months: November 2007
NORTHEAST WYOMING BOCES $25,145.46
CDW - G $18,096.00
ROCKY MOUNTAIN POWER $16,291.63
QUESTAR GAS $13,505.40
SYSCO INTERMOUNTAIN FOOD SERV $12,062.30
REGION V BOARD
OF RICHARD TANNER $11,786.84
DBA CLEAR CUT GLASS $11,268.00
FIRST BANKCARD $8,295.26
HANDS DOWN CONSTRUCTION INC $8,064.46
ALL AMERICAN FUEL CO INC $3,944.41
US FOODSERVICE INC $3,381.89
JEANNENE MASON $3,347.72
CREAM O' WEBER DAIRY $3,227.62
OFFICE OUTLET $2,781.94
CENTURYTEL $2,422.26
WYOMING DEPT OF EMPLOYMENT $2,148.40
SCHAEFFER MFG CO $2,140.60
MIDWAY TRUCK STOP $2,114.63
THE MORTENSON GROUP, P.C. $1,842.50
PINEDALE AUTO SUPPLY $1,692.46
SCHOLASTIC BOOK FAIRS -13 $1,679.47
UNION TELEPHONE COMPANY $1,644.18
POCO LOCO SWIM SHOP $1,593.95
WESTERN WYOMING BEVERAGE $1,582.45
NICHOLAS & COMPANY $1,568.13
HIGHSMITH INC. $1,559.37
SOPRIS WEST ED SERVICES $1,533.95
COPENHAVER, KATH, KITCHEN & $1,480.28
WILLIAM SCOTSMAN INC $1,462.20
VARSITY SPIRIT FASHIONS $1,428.70
KAY PITCHFORD $1,320.00
QSP INC $1,236.70
DRY CREEK STATION $1,210.33
MID-AMERICAN RESEARCH CHEMICAL $1,168.15
BIG PINEY SCHOOL LUNCH $964.20
WEST BANK SANITATION $957.18
IKON OFFICE SOLUTION $918.89
PROACTIVE PHYSICAL THERAPY $870.00
AMERICAN RED CROSS OF WYOMING $850.00
GASES PLUS $780.48
CNA SURETY $775.00
GRAPHIC SPORTS $658.00
COMFORT INN & SUITES - RIVERTON $639.92
DJ'S GLASS PLUS LLC $613.00
DEBRA STOUTENBURG $611.10
F B MCFADDEN WHOLESALE $598.70
IBC WONDER BREAD/ HOSTESS BREAD $598.50
ELDER EQUIPMENT $587.20
TOWN OF BIG PINEY $574.89
SWEETWATER STEEL CENTER INC $572.08
JILDA M. SENATORE $550.00
UNIVERSAL ATHLETIC SERVICE $545.58
GRAINGER $539.64
WAXIE SANITARY SUPPLY $525.61
HILL MUSIC COMPANY $524.93
JONATHAN MOORE $510.68
F B MCFADDEN WHOLESALE $510.61
Public notice #1131. Published in the Sublette Examiner December 27, 2007.


PUBLIC NOTICE
A public hearing will be held at the regular meeting of the Board of County Commissioners on Thursday, January 3, 2008, at 10 a.m. in the Commissioners Meeting Room of the Sublette County Courthouse for the purpose of presenting a Business Ready Community program grant application for the purchase of property and construction of a manufacturing facility by Chopper Grassell, Callahgan Cabinets & Millwork, LLC for public input.
Written comments may be sent to the Sublette County Clerk, P.O. Box 250, Pinedale, WY 82941, or maryl@sublettewyo.com and will be accepted until the time of the hearing.
Dated this 21st day of December, 2007.
/s/ Mary L. Lankford, County Clerk
Public notice #1132. Published in the Sublette Examiner December 27, 2007.

See The Archives for past articles.


Copyright © 2002-2007 Sublette Examiner
All rights reserved. Reproduction by any means must have permission of the Publisher.
Sublette Examiner, PO Box 1539, Pinedale, WY 82941   Phone 307-367-3203
examiner@wyoming.com