From the pages of
Sublette Examiner
Volume 7, Number 39 - December 20, 2007
brought to you online by Pinedale Online
Public Notices

|
NOTICE OF PUBLIC HEARING
State of Wyoming
County of Sublette
Town of Marbleton
A public hearing will be held on January 14, 2008 at 7:00 p.m. at the Marbleton Town Hall in accordance with Wyoming Statutes, 2007, as amended, Section 15-1-405(a). This notice includes a copy of the Proposed Annexation Report required by Section 15-1-402 (c) as follows:
PROPOSED ANNEXATION REPORT
NORTHGATE ADDITION – PHASE 1
ANNEXATION TO THE TOWN OF MARBLETON
In accordance with the Statute, the following is reported:
(i) A map of the area proposed to be annexed is attached.
(ii) The total estimated cost of infrastructure improvements required of all landowners by the Town of Marbleton related to this annexation.
Water – 4,700 feet ± of water line at $50/ft. $235,000
Water – 2,000 feet ± of water line at $65/ft. $130,000
Sewer – 5,215 feet ± of sewer line at $50/ft. $260,750
Streets – 6,200 feet ± of roadway at $177/ft. $1,097,400
(iii) A list of basic and other services customarily available to residents of the Town and a timetable when those services will reasonably be available to the area proposed to be annexed.
Sewer, water, and streets will be constructed to Town standards and be available upon the filing of the Northgate Phase I subdivision plat. Fire and police protection will be immediately available. Utilities such as electrical power, natural gas, and telephone will be available.
(iv) A projected annual fee or service cost for services described in paragraph (iii) of this subsection.
Water – Hook-up fee - $1,500
Sewer – Hook-up fee - $1,500
Annual Fee (C) - $5,591.04 Annual Fee (C) - $1,260.00
Annual Fee (I) - $1,597.44 Annual Fee (I) - $264.00
Annual Fee (R-2) - $3,045.6 Annual Fee (R-2) - $792.00
Total Annual fee - $10,234.08
Total Annual Fee - $2,316.00
(v) The current and projected property tax mill levies imposed by the Town of Marbleton.
Mill levy – 8 (statutory maximum)
(vi) The cost of infrastructure improvements required within the existing boundaries of the Town of Marbleton to accommodate the proposed annexation.
Water – 50 feet ± of water line at $65/ft. $3,250
Sewer – 100 feet ± of sewer line at $50/ft. $5,000
In addition, it is the request of the property owners:
(a) That the land be zoned as follows.
Block 1 – Industrial I
Block 2 – Industrial I
Block 3 – Commercial C
Block 4 – Commercial C
Block 5 – Commercial C
Block 6 – Commercial C
Block 7 – Part/Open Space P-O
Block 8 – Residential R-2
(b) That the governing body designates Rocky Mountain Power to serve the annexed area pursuant to W.S. 15-1-410 and to authorize the designated utility to service the entire annexed area.
ATTEST:
Anita Bartosh, Town Clerk
Legal notice #1124. Published in the Sublette Examiner December 20 and 27, 2007.

|
NOTICE OF PUBLIC HEARING
Sate of Wyoming
County of Sublette
Town of Marbleton
A public hearing will be held on 14 January 2008 at 7:00 p.m. at the Town Hall of the Town of Marbleton in accordance with Wyoming Statutes 15-1-405 (a). This notice includes a copy of the “Proposed Annexation Report” required by Section 15-1-402 (c) as follows:
PROPOSED ANNEXATION REPORT
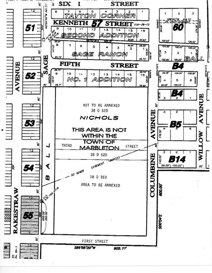
NICHOLS ANNEXATION TO THE TOWN OF MARBLETON
In accordance with said Statute, the following may be reported:
(i) A map of the area proposed to be annexed is attached.
(ii) The total estimated cost of infrastructure improvements required of all landowners by annexing municipality related to the Annexation.
Water – 1800 feet +/- of water line at $20/ft. $36,000
Sewer – None is extant outfall line is used. Otherwise 1000 feet +/- of sewer line at $20/ft. $20,000
Streets – extant.
(iii) A list of basic and other services customarily available to residents of the Town and a timetable when these services will reasonably be available to the area proposed to be annexed.
(iv) A projected annual fee or service cost for services described in paragraph (iii) of this subsection.
Water – Hookup fee – $1,500
Annual fee – $253.80
Sewer – Hookup fee – $1,500
Annual fee – $66
(v) The current and projected property tax mill levies imposed by the municipality.
Mill levy – 8 (statutory maximum)
(vi) The cost of infrastructure improvements required within the existing boundaries of municipality to accommodate the proposed annexation.
None.
Anita Bartosh, Town Clerk
Legal notice #1121. Published in the Sublette Examiner December 20 and 27, 2007.
Public Notice
Green River Rock, Inc. of Big Piney, Wyoming has applied for a conversion from a small mining permit to a regular mining permit from the Land Quality Division of the Department of Environmental Quality for the State of Wyoming. The mining permit area for the mining of sand and gravel will be located in the NW 1/4 Section 17, Township 29 North, Range 111 West, Sublette County, Wyoming. The permit area is located approximately two (2) miles south of Big Piney, Wyoming, on the east side of Highway 189. The proposed regular mine operation is scheduled to begin in January, 2008 and is estimated to continue until 2012. The land after mining will be returned to livestock grazing land. This notice satisfies the requirements for both W.S. 35-11-406(g) and W.S. 35-11-406(j). Information regarding the proposed mining operation and reclamation procedures may be reviewed at the Office of the Land Quality Division of the Department of Environmental Quality in Cheyenne and Lander, Wyoming, the Sublette County Clerks Office, Pinedale Wyoming, or the office of R. S. Bennett Construction, at 601 Highway 189, Marbleton, Wyoming. Written objections shall apply only to the request of the operator to accelerate the operation (Chapter 9, Section 2, Land Quality Division, Non-coal Rules and Regulations) and must be received by the Administrator of the Land Quality Division of the Department of Environmental Quality, Herschler Building, 122 West 25th Street, Cheyenne, WY 82202, before close of business January 19, 2008. If an objection is submitted, a public hearing shall be held within twenty (20) days after the final date for filing objections unless a different period is stipulated to by the parties. The Council or Director shall publish notice of the time, date and location of the hearing or conference in a newspaper of general circulation in the locality of the proposed operation once a week for two (2) consecutive weeks immediately prior to the hearing or conference. The hearing shall be conducted as a contested case in accordance with the Wyoming Administrative Procedure Act (W.S. 16-30191 thru 16-3-115), and the right of judicial review shall be afforded as provided in that Act. All parties as given in W.S. 355-11-406(j) will be mailed a copy of this notice. The Wyoming Oil and Gas Conservation Commission will be mailed a copy of the application mine plan map as required in W.S 35-11-406(j).
Legal notice #1114. Published in the Sublette Examiner November 29, December 6, 13 and 20, 2007.
NOTICE OF PUBLIC HEARING
State of Wyoming )
County of Sublette )
Town of Big Piney )
A public hearing will be held on 8 January 2008 at 7:00 PM at the Town Hall of Big Piney in accordance with Wyoming Statutes, 2007, as amended, Section 15-1-405 (a). This notice includes a copy of the “Proposed Annexation Report” required by Section 15-1-402 (c) as follows:
PROPOSED ANNEXATION REPORT
RAY ANNEXATION TO THE TOWN OF BIG PINEY
In accordance with said Statute, the following may be reported:
(i) A map of the area proposed to be annexed is attached.
(ii) The total estimated cost of infrastructure improvements required of all landowners by the annexing municipality related to the Annexation.
None.
(iii) A list of basic and other services customarily available to residents of the Town and timetable when these services will be reasonably be available to the area proposed to be annexed.
Sewer, water, streets and police extant are immediately available.
(iv) A projected annual fee or service cost for services described in paragraph (iii) of this subsection,
Water – Hookup Fee - $750
Annual Fee - $216
Sewer – Hookup Fee - $500
Annual Fee - $204
(v) The current and projected property tax mill levies imposed by the municipality.
Mill levy – 8 (statutory maximum)
(vi) The cost of infrastructure improvements required within the existing boundaries of the municipality to accommodate the proposed annexation.
None.
Jacqueline S. Arthur, Town Clerk
Legal notice #1119. Published in the Sublette Examiner December 13 and 20, 2007.
To be sold at Troy’s Motor Sports
A public sale of an abandoned vehicle on January 3, 2008 at 10 a.m. 1987 Chevy blazer, gray in color, VIN # 1GNEV18H1HF165493. $250.00 Minimum bid.
Legal notice #1120. Published in the Sublette Examiner December 20 and 27, 2007.
PUBLIC NOTICE
Pinedale Drug inside Falers General Store has been sold to Jerry Ridley, the new owner of Faler’s General Store. This is effective Jan. 2nd.
Legal notice #1122. Published in the Sublette Examiner December 20, 2007.
PUBLIC NOTICE
STATE OF WYOMING
COUNTY OF SUBLETTE
TOWN OF PINEDALE
The Town Council of the Town of Pinedale met in regular session, Monday,
November 26, 2007 at 5:30 p.m., in the Town Hall. Those present: Jim Parker, Pinedale Airport Manger; Jim Whinnery, Hayes Randol and Joe Ahlstrom, representing the Sublette County Sheriff’s Office; Julie Early, Animal Control Officer; Matthew Harber and James Rogers, representing Haymaker Land Holding; C Sherman, representing Summer Sunset; Jeffrey Jacquet, representing the Sublette Community Partnership; Dale Rasmussen, Pinedale Natural Gas; Butch Penton and Billy Pape, representing Sublette County Road and Bridge; Brian Gray, representing Worthington, Lenhart and Carpenter; Mark Eatinger and Dennis Fornstrom, representing Rio Verde Engineering; Peter Leslie; Paul Rock; Marry Menster and Lindsey Gooch, representing Split Diamond Meadows; Jamison Ziegler; Farrah Rhea and Sherri Thomas, representing Rocky Mountain Bank; Mark Noble, representing Noble Construction Inc.; Carmel Kail; Steve Mackey; Marilyn Geddes; Eugene Ninnie, Town Engineer; Betty Hunt; Randy Hubbard and Ron Hanson representing the Public Works Department; Ed Wood, Town Attorney; Ruth Neely, Municipal Judge; Meghan Jacquet, Planning and Zoning Administrator; Lauren McKeever, Mayor’s Assistant; Alecia Warren, representing the Pinedale Roundup; and Tiffany Turner, representing the Sublette Examiner.
Nylla Kunard, Mayor Pro-Temp, brought the meeting to order. Present on Roll Call: Gary Heuck, David Hohl not present, Stephen Smith, excused, Nylla Kunard and Chris House.
Motion by House to approve the minutes of the October 22nd meeting as written. Motion seconded. Motion carried unanimously. Motion by Heuck to approve the minutes of the November 13th meeting as written. Motion seconded. Motion carried unanimously.
Hayes Randol and Jim Whinnery, representing the Sublette County Sheriff’s Office, reported the monthly activities of the sheriff’s office.
Julie Early, Animal Control Office, reported the monthly activities of the animal control department.
Randy Hubbard, representing the Public Works Department, reported the monthly activities of the public works department. After discussion motion by Heuck to approve paying the comp time to the town’s public works employees on November 30, 2007. Motion seconded. Motion carried unanimously. After discussion motion by House to give the town employees Christmas Eve, December 24th and New Year’s Eve, December 31st off. Motion seconded. Motion carried unanimously. Motion by House to approve the purchasing of magnesium hydroxide for the wastewater treatment facility in the amount of approximately $8,500.00. Motion seconded. Motion carried unanimously.
Meghan Jacquet, Planning and Zoning Administrator, reported the activities the planning and zoning department. Lauren McKeever, Mayor’s Assistant, reported the her monthly activities.
Jim Parker, Airport Manager, reported the monthly activities of the airport and presented the draft minutes of the October Airport Board Meeting.
Motion by Heuck to approve the assignment of lease for Hangar Lot 11 from Michael B. Cavanagh to David M. Smith. Motion seconded. Motion carried unanimously.
The Public Hearing for the Annexation to the Town of Pinedale of the property contained within the Bloomfield Annexation was opened for discussion. Matt Harber, representing the John B. Harber and Sylvia L.
Harber, Trustees of the Harber Family Trust and Mark Eatinger, representing Rio Verde Engineering, presented the Annexation Petition for Annexation to the Town of Pinedale of the property contained within the Bloomfield Annexation and the proposed Master Plan of the Bloomfield Annexation.
Carmel Kail, a concerned citizen, discussed her concerns with the abundance of multi-family housing and rentals, and the need for single family homes.
Meghan Jacquet, Planning and Zoning Administrator, stated there are no major concerns, but is aware of the effects on the Pronghorn migration corridor and possible concerns with future platting, i.e. traffic, wetlands, roads, and Master Plan. Gary Heuck stated he had gotten concerns with the mobile home park. Harber stated the proposed subdivision is intended to offer a range of housing units to accommodate a variety of incomes and that subdivision convents would be enforced by a private management company.
Chris House stated he thought the project has a lot of potential and the Council just needs to make sure they address everyone’s concerns. Marilyn
Geddes, a concerned citizen, discussed her concerns with the density of the proposed development. Jeffrey Jacquet, representing the Sublette County Partnership, stated it was a lot of development but it was a 10 to 15 year development. Ed Wood, Town Attorney, discussed addressing zoning prior to the second reading of the ordinance. Paul Rock stated his concerns with the zoning and traffic. Motion by House to approve Resolution 2007-24, finding compliance with WYO. STAT.§15-1-402 in the matter of the Annexation Petition of John B. Harber, personally, and John B. Harber and Sylvia L.
Harber as Trustees of the Harber Family Trust, Dated April 11. 1997. Motion seconded. Motion carried unanimously.
Jeffrey Jacquet, representing the Sublette Community Partnership, presented the Sublette County Child Care Needs Survey.
After discussion motion by House to approve the Consultant Agreement between TishclerBise, Inc. and the Town of Pinedale, WY. Motion seconded. Motion carried unanimously.
Motion by Heuck to approve the Application for a 24 Hour Catering/Malt Beverage Permit requested by the Corral Bar for the Chamber of Commerce at Rendezvous Pointe on November 30th. Motion seconded. Motion carried unanimously.
Motion by Heuck to approve the Application for a 24 Hour Catering/Malt Beverage Permit requested by the Corral Bar for Encana at Rendezvous Pointe on December 5th. Motion seconded. Motion carried unanimously.
Motion by House to approve the Application for a 24 Hour Catering/Malt Beverage Permit requested by the Corral Bar for Black Horse Construction on December 8th at Rendezvous Point. Motion seconded. Motion carried unanimously.
Motion by Heuck to approve the Application for a 24 Hour Catering/Malt Beverage Permit requested by the Corral Bar for Ultra on December 14th at Rendezvous Pointe. Motion seconded. Motion carried unanimously.
Motion by House to approve the Application for a 24 Hour Catering/Malt Beverage Permit requested by the Corral Bar for Teppco at Rendezvous Pointe on December 15th. Motion seconded. Motion carried unanimously.
Motion by House to approve Ordinance 428, an ordinance annexing adjacent and contiguous land (Split Diamond Development, Inc.) to the Town of Pinedale, Wyoming and establishing zoning therefor, subject to Split Diamond Development providing plans of the sprinkler systems and the backflow prevention devices are covered, on the third reading. Motion seconded. Motion carried unanimously.
Motion by Heuck to approve Ordinance 429, an ordinance of the Town of Pinedale, Wyoming amending Chapter 17.65, Section 17.65.040 by adding a restriction that any building having an unit used as an apartment must not have any units in said building used for hotel or motel uses, on the third reading. Motion seconded. Motion carried unanimously.
Motion by House to approve Ordinance 430, an ordinance of the Town of Pinedale, Wyoming amending Chapter 17.06, Section 17.06.330 to change the definition of “Motel”, on the third reading. Motion seconded. Motion carried unanimously.
Motion by House to approve Ordinance 431, an ordinance of the Town of Pinedale, Wyoming amending Chapter 17.06, to create Section 17.06.245 to create a definition of “Hotel”, on the third reading. Motion seconded. Motion carried unanimously.
Motion by Heuck to go into executive session to discuss personnel. Motion seconded. Motion carried unanimously.
Motion by Heuck to return to regular session. Motion seconded. Motion carried unanimously.
Motion by Heuck to request bids for the town’s official newspaper. Motion seconded. Motion carried unanimously.
The following bills were presented for payment:
Ace Industrial Supply 236.70; American Linen 119.01; Aramark 1456.72; Big J’s Auto Parts 947.74; Brenntag Pacific, Inc. 4074.08; CenturyTel 715.24; Commercial Lighting Company 458.26; Country Lane Groceries & Gas 426.78; Delco Western 4000.00; Electrical Systems Consultants 4586.70; Energy Laboratories 60.00; FIA Card Services 97.53; Grainger 462.14; Hach 389.50;
Meghan Thoreau Jacquet 106.17; Lab Safety Supply 151.27; Mountain West Truck Center 94,306.00; Normont Equipment 194.18; Pinedale Natural Gas, Inc. 630.00; Pinedale Roundup 26.00; Patty Racich 103.11; Rocky Mountain Power 161.78; Ron’s Ace Rentals 231.50; Scott Machinery Company 42.78; Secretary of State/Notary Div 30.00; Union Telephone 406.53; United Service & Sales 20,117.13; Valuations Northwest, Inc.100.00; Waterford Systems 4962.45; Waterworks, Inc. 807.58; Wyoming Analytical 330.00; Wyoming Association of Rural Water 235.00; Zee Medical Service 69.35; Phylis Stevens 850.00.
Motion by House to pay the bills as presented. Motion seconded. Motion carried unanimously.
Motion by Heuck to adjourn. Motion seconded. Motion carried unanimously.
Meeting adjourned at 7:35 p.m..
ATTEST:
NYLLA KUNARD
MAYOR PRO-TEMP
PATTY RACICH
CLERK/TREASURER
Legal notice #1123. Published in the Sublette Examiner December 20, 2007.
BEFORE THE OIL AND GAS
CONSERVATION COMMISSION
OF THE STATE OF WYOMING
The following matters will come before this Commission on MONDAY, JANUARY 7, 2008, at 1:30 P.M., or as soon thereafter as the matters may be heard, or between the hours of 8:00 A.M. and 5:00 P.M. on any of the subsequent days during which the Commission remains in session at the office of the State Oil and Gas Supervisor, 2211 King Boulevard, Casper, Wyoming.
Cause No. 6, Order No. 1, DOCKET NO. 502-2007, brought on the application of EnCana Oil & Gas (USA) Inc. for an order from the Commission under the rules and regulations of the Underground Injection Control Program for an aquifer exemption for the Fort Union Formation in a one-quarter mile radius of the proposed injection well, the Stud Horse Butte 59-36, located in the NE1/4 SW1/4 of Section 36, Township 29 North, Range 108 West, 6th P.M., Jonah Field, Sublette County, Wyoming; approval of use of the well for injection of water; and to take whatever other action the Commission deems appropriate.
The following matters will come before this Commission on TUESDAY, JANUARY 8, 2008, at 9:00 A.M., or as soon thereafter as the matters may be heard, or between the hours of 8:00 A.M. and 5:00 P.M. on any of the subsequent days during which the Commission remains in session at the office of the State Oil and Gas Supervisor, 2211 King Boulevard, Casper, Wyoming.
Cause No. 3, Order No. 3, DOCKET NO. 409-2007, brought on the application of Yates Petroleum Corporation for an order authorizing an exception location for the Blue Rim State #11 well to be located at surface 264 feet FNL and 1290 feet FEL, and bottom hole 60 feet FNL and 2360 feet FWL and drilled to the Lance Formation underlying Section 16, Township 30 North, Range 108 West, 6th P.M., Sublette County, Wyoming.
Cause No. 3, Order No. 1, DOCKET NO. 41-2008, brought on the application of Questar Exploration and Production Company for an order authorizing an exception to the well location requirements specified under Chapter 3, Section 2(a) of the Commission’s rules, and authorizing the drilling of the equivalent of eight (8) Lance Formation wells per 40-acre quarter quarter section (or lots or subdivisions approximately equivalent thereto) and to produce such Lance Formation wells with no production limitations upon the following described lands: Lots 2, 5, 6, 7, 11, 12, S1/2 SE1/4 of Section 7, the E1/2, E1/2 W1/2, SW1/4 SW1/4 of Section 8, the NW1/4, N1/2 S1/2, SE1/4 SE1/4 of Section 9, the W1/2 of Section 15, the SE1/4 SE1/4 of Section 16, the NE1/4 NE1/4, SE1/4 SE1/4, W1/2 E1/2, W1/2 of Section 17, the E1/2 of Section 18, the E1/2 of Section 19, all of Section 20, the W1/2, NE1/4 of Section 21, and the N1/2 of Section 22, Township 32 North, Range 109 West, 6th P.M., Sublette County, Wyoming.
Any interested party is entitled to appear at the aforesaid time and place to be heard by the Commission. The applications may be inspected in the office of the undersigned, 2211 King Boulevard, Casper, Wyoming, or on the Oil & Gas Commission website at http://wogcc.state.wy.us. If there are any protests, please make such known to the State Oil and Gas Supervisor at least three (3) working days before the hearing by filing a written objection.
DATED this 13th day of December, 2007.
WYOMING OIL & GAS
CONSERVATION COMMISSION
/s/ Don J. Likwartz, Secretary
Legal notice #1125. Published in the Sublette Examiner December 20, 2007.
OFFICIAL COUNTY COMMISSIONERS PROCEEDINGS
DECEMBER 4, 2007
The Board of County Commissioners met in regular session in the Sublette County Courthouse in Pinedale, Wyoming, on this date at 9:00 a.m. with Bill Cramer, John Linn, Joel Bousman, Tiffany Tuner representing the Sublette Examiner, Jonathan Van Dyke of the Pinedale Roundup, and Mary Lankford, County Clerk present.
Chairman Cramer led those present in the Pledge of Allegiance.
The minutes of the preceding regular meeting of November 20, 2007, were approved and ordered filed on motion by Commissioner Bousman and seconded by Commissioner Linn. The motion carried.
The official bond for Kristel Blair, Treasurer for the Meadow Canyon Service and Improvement District, in the amount of $10,000; and Pete Teller, Treasurer for Hoback Ranches Service and Improvement District, in the amount of $5,000 were approved and ordered filed with the County Treasurer.
It was moved by Commissioner Linn and seconded by Commissioner Bousman to recess the meeting for an Executive Session with Butch Penton and Paul Scherbel to discuss the purchase of property. The motion carried.
It was moved by Commissioner Linn and seconded by Commissioner Bousman to reconvene the meeting.
Butch Penton, Road & Bridge Superintendent, reported on work, gravel and suggested that the Board plan a tour of County Roads.
It was moved by Commissioner Bousman and seconded by Commissioner Linn to adopt Resolution No. 07-10022C extending the Profit County Road No. 23-201. The motion carried.
Mark Eatinger and Aaron Seehafer, representing Rio Verde Engineering, requested permission to locate a sewer line for the Town of Pinedale in the easement for Granite Lane and Stone Trail. The request was approved. As part of the Pinedale Water System Master Plan, Eatinger requested permission to include the plan with the County’s GIS. The request was approved and Eatinger was referred to Rich Greenwood.
The Board discussed the new ownership at Falers and asked Eatinger to contact the new owners regarding East Magnolia Street.
Larry Barttelbort, Executive Director of the Wyoming Veterans Commission, presented a program about Veterans Services in Wyoming. Barry Gasdek, Jim Washam, Bill Thompson, Patty Perengliev, Cheryl Kruse, Ann Carothers, and Rick Bartolc commented on local Veterans Services. Chairman Cramer inquired about the status of the proposed Memorandum of Understanding with Sweetwater and Lincoln Counties and directed Perengliev to work with the County Clerk, Mary Lankford to resolve the issues with the MOU and provide the necessary accounting for the funds requested.
In response to complaints from neighbors about excessive shooting and the possible operation of a shooting range, the Board held a hearing for the possible revocation of the conditional use permit for the Black Powder Guest Ranch, owned by Lost Creek, LLC, in Bondurant. The Board accepted a letter from Steve Robertson. County Planner Bart Myers reviewed the history of the conditional use permit, complaints from the neighbors, and actions of his department. Comments were made by complainants Patty Engler and Martha Preston. Carolyn Fisk, Roy Fisk, Cathy Loewer, and Sam Coutts made comments defending the activity and actions of Coutts. The Board advised Coutts that the conditional use permit did not allow a shooting range and to stop the excessive shooting. It was moved by Commissioner Bousman and Commissioner Linn to not revoke the conditional use permit. The motion carried. The Board advised Loewer and Coutts to be reasonable and not excessive.
Jeffrey Jacquet reviewed the Phase II proposal from Ecosystem Resource Group. The Board authorized Commissioner Bousman and Jacquet to determine which portions of the proposal to pursue.
Marti Seipp, Sublette Citizens for Recycling, discussed trading their skid steer with tracks. The Board advised Seipp to pursue a skid steer with wheels.
The Board continued the road hearing for the Matthew D. Miller Road Petition with Bill Twichell, Hearing Officer presiding. Bret King, representing Matt Miller; Ed Wood, representing Frank Nataros, Ann Nataros, Analind Corporation Ltd., and Willow Springs Cattle Company; and Matt Miller were present. Twichell affirmed that the Board had reviewed the transcripts; the parties were satisfied with notice, and with Commissioner Bousman participating in the decision. The Board discussed the Viewers Report, damages, and the existing road location and proposed road relocation. Before and after value was discussed. It was moved by Commissioner Linn to accept the Viewers Report. The motion died, due to lack of a second. It was moved by Commissioner Bousman and seconded by Chairman Cramer to accept the value and compensation for damages, in the amount of $80,000 from the Viewers Report, and determine that the reasonable and convenient location of the road is the existing road. The motion carried, with the vote being: Cramer-aye, Bousman-aye, and Linn-nay.
The Board directed Bret King to prepare the Findings of Fact and Conclusions of Law and submit them to the Board for approval. The Board will distribute them to the County Attorney and Ed Wood.
Rick Johnson, Kristel Blair, and Bob McCarty, representing the Class II Road Committee, presented four items for the Board. The Board approved the inspection of the Forest Service Road to Hoback Ranches and its feasibility. The Board referred the Meadowlark Lane road location issue to Mark Stewart, Attorney for the Committee. Blair presented Second North and Little Mountain Road. Johnson reviewed the budget and discussed funding criteria.
The Board met with members of the Historical Society concerning the lease for the Pinedale Clinic Parking Lot. Revisions were discussed and referred to the County Attorney.
The following abatement petitions and affidavits of abatement of taxes were presented on petition from the County Assessor and the State of Wyoming Board of Equalization: BP America Production Company, $9,235.98; BP American Production Company, $8,869.38; BP American Production Company, $951.88; Burlington Resources Oil & Gas Company, $730.16; Chevron USA, Inc., $1,707.80; Chevron USA, Inc., $811.67; EOG Resources, $44.83; Shell Rocky Mountain Production LLC, $52,092.04; Sinclair Oil Corporation, $901.70; Reiman Corporation, $29.68; Mountain Construction Company, $223.35; S&L Industrial, $28.02; Frost Construction, $677.14; Frank Fear Cattle Company, $88.09; Noble Construction, $2,726.40; Ken Small Construction,$2,219.58; Richard & Nancy Stott, $385.50; Rio Verde Engineering, $570.24; and Deere Credit, Inc. $2,155.27.
It was moved by Commissioner Linn and seconded by Commissioner Bousman to adopt Resolution No. 07-10020C approving an application for CMAQ funds for dust suppression. The motion carried.
It was moved by Commissioner Bousman and seconded by Commissioner Linn to issue a malt beverage permit to Rocky Mountain Intense Athletics for December 14, 2007 at the Ag. Center. The motion carried.
Ron Gordon presented a proposal to remove road killed animals and trash from County Roads for the amount of $8,000 per month. Bernie Holz, representing the Wyoming Game and Fish, was present. The Board took no action.
Garry Eiden, Sr., Galen Eiden, and Ryan McGuire discussed tipping fees at the Pinedale Transfer Station and the possible overcharges to M&M Transfer. It was determined that the fees charges were appropriate.
It was moved by Commissioner Bousman and seconded by Chairman Cramer to approve and sign a contract with Teton County for landfill services at the Marbleton Landfill for a term of 10 years. The motion carried, with the vote being: Cramer-aye, Bousman-aye, and Linn-nay.
Accounts Payable audited and approved for payment:
ADVANCED MEDICAL IMAGING, LLC 42.00 / ADVANCED FLUID SYSTEMS, LLC 1,603.58
ALSCO 100.05 / KATHRYN ANDERSON 253.89 / ARCHITECTURAL BUILDING SUPPLY 1,080.34
ARIZONA GUN RUNNERS 65.13 / A TO Z HARDWARE 86.29 / DEEDEE BARTA 50.00
MARYLISA BAXLEY 187.19 / BAYMONT INN-PINEDALE 91.00 /BIG HORN COOP ONE STOP 484.08 / BIG J’S AUTO PARTS INC. 2,299.78 /BIG PINEY LUBE&DETAIL, INC 224.15 / JOEL E. BOUSMAN 323.87 /RALPH W. BOYNTON 487.27 / BUREAU OF ALCOHOL, TOBACCO, 300.00
BUSHMASTER FIREARMS INTERNATIONAL 4,096.75 / BEST WESTERN GARDEN INN 444.00
DON CALHOUN 613.00 / CENTURYTEL 343.14 / CHAMBERS DESIGN-BUILD INC. 379,245.13
STACY COLVIN 136.70 / COMMONWEALTH LAW BOOK CO. 280.00 / CS & T INC. 276.00
CUMMINS ROCKY MOUNTAIN LLC 1,993.84 / WY DEPT OF TRANSPORTATION 30.00
EAGLESPAN STEEL STRUCTURES, LLC 15,000.00 / EDEN $ NEY ASSOCIATES INC 609.00
EIDEN’S CONSTRUCTION LLC 1,774.00 / EMED CO. INC 295.31 /EVENFLO COMPANY INC. 597.44 / FALER’S GENERAL STORE 112.85 /FEW INVESTMENTS, LLC 1,111.77 / THE FIRE EXTINGUISHER 195.00 /FLEETWEST SLIP-ON TRUCK BODIES 8,402.00 / FORESTRY SUPPLIERS INC. 236.17 /FRED PRYOR SEMINARS 1,137.00 / FRONTIER ELECTRIC INC. 27.50 / GALL’S INC. 232.45 /GLOBALSTAR USA 140.48 / F. GASTON GOSAR 250.00 / DEBBIE HARPER 926.96 /HENDERSON ENGINEERS INC 23,375.00 / HOLIDAY INN 641.77 / HOLIDAY INN 215.15
IBF GROUP 51.86 / JEFFREY JACQUET 5,000.00 / FRANK JAMES 812.48 /JOHNSON CONTROLS 660.00 / JOHN THOMAS JOHNSTON 475.00 / JOHNSTONE SUPPLY 94.97 /KENWORTH SALE ROCK SPRINGS 49.56 / ANGIE KOLIS 176.81 /L&P FINANCIAL SERVICES 22,746.57 / LARIAT INTERNATIONAL TRUCKS 198.67 /LATHROP EQUIPMENT COMPANY 630.99 / LEFTOVERS, INC 1,764.00 /HOLDING’S LITTLE AMERICA 219.62 / LOGGER DISTRIBUTING 1,394.99
LONG’S ELECTRONICS 484.68 / LYLE SIGNS INC 490.75 / MANTEK 1,766.76 /MHL SYSTEMS 27,307.49 / MOORE WALLACE 298.56 / FRANK MORRISON 50.00 /MOTOSAT 417.80 / MOUNTAIN BAY SCUBA 570.28 / MYERS TIRE SUPPLY COMPANY 308.39 /NACRC 55.00 / NO HASSLE AUTO GLASS LLC 367.80 / NORTHERN SAFETY CO. INC. 316.35 /OFFICE DEPOT 269.72 / OFFICE OUTLET 265.86 /PINE CREEK FAMILY COUNSELING, LLC 4,077.00 / PEAK GLASS 3,281.00 /MICHAEL PETERSON 106.05 / PHS SENIOR CLASS TRUST 68.00 /PINEDALE AUTO SUPPLY 167.64 / HELEN HEGARDT 200.00 / PINEDALE LUMBER 25.54 /PINEDALE NATURAL GAS CO. 7,857.64 / PINEDALE PRESCHOOL 75,000.00 /PLAINSMAN PRINTING & SUPPLY 1,210.84 / U.S. POSTMASTER 304.37 /US POSTMASTER 255.00 / POWER ENGINEERING COMPANY,INC 707.08 /PROACTIVE PHYSICAL THERAPY 810.00 / JENNIFER PROCTOR 304.51 / QUESTAR GAS 155.67 /QUILL CORPORATION 103.18 / R & E COMPUTER SERVICE LLC 5,416.67 /RANGE MAGAZINE 19.95 / REDI SERVICES LLC 797.38 / RENDEZVOUS TRAVEL 662.70 /RURAL HEALTH CARE DISTRICT 1,361.00 / ROCKY MTN. HOME CENTER 3,109.59 /ROCKY MOUNTAIN POWER 37.83 / ROCKY MOUNTAIN WASH, LLC 4.00 /ROBIN SCHAMBER 382.96 / ROCKY MOUNTAIN PROPANE 1,561.33 /SAFV TASK FORCE 8,395.52 / SUBLETTE COUNTY RURAL HEALTH 27,223.68 /SUBLETTE COUNTY SCHOOL DIST #9 125.00 / SECRETARY OF STATE 30.00 /SKAGGS COMPANIES, INC. 715.15 / SNAKE RIVER SUPPLY 3,427.16 /ANNIE SONDGEROTH 25.52 / TRAVIS SOUR 4,500.00 / CHERYL SPALL 325.42 /SUBLETTE COMMUNICATIONS, INC. 74.00 / SUBLETTE EXAMINER 580.00
SUMMIT PARTNERS LLC 700.00 / SYMBOLARTS 43.50 / TASER INTERNATIONAL 256.06
TEAM LABORATORY CHEMICAL CORP. 3,220.00 / TEGELER & ASSOCIATES 50.00
THE TIRE DEN, INC. 1,604.70 / TEEWINOT LEGAL CORPS 600.00 /TRAFFIC SAFETY SUPPLY CO 1,194.76 / UNION TELEPHONE 1,815.43 /UNITED PARCEL SERVICE 87.46 / US CHEMICAL STORAGE LLC 3,145.00 /VERIZON WIRELESS 244.30 / VISIONARY COMMUNICATIONS INC 25.00 /VISTA PROPERTIES LLC 2,000.00 / VEHICLE LIGHTING SOLUTIONS, INC 11,069.66
JANE WARDELL 4,983.00 / WEST BANK SANITATION 57.24 /WESTERN PLAINS MACHINERY CO. 496.64 / WEST PAYMENT CENTER 117.50 /WORTHINGTON,LENHART AND 975.00 / WYOMING OFFICE SOLUTION 3,299.70 /WYOMING MACHINERY COMPANY 180,193.38 / WYOMING.COM 285.00 /ZEE MEDICAL SERVICE 72.40
There being no further business, the meeting was adjourned at 5:30 p.m.
BOARD OF COUNTY COMMISSIONERS
SUBLETTE COUNTY, WYOMING
/s/ William W. Cramer, Chairman
Attest:
/s/ Mary L. Lankford, County Clerk
Legal notice #1126. Published in the Sublette Examiner December 20, 2007.
See The Archives for past articles.
Copyright © 2002-2007 Sublette Examiner
All rights reserved. Reproduction by any means must have permission of the Publisher.
Sublette Examiner, PO Box 1539, Pinedale, WY 82941 Phone 307-367-3203
examiner@wyoming.com
|